EXHIBIT 10.33
STANDARD INDUSTRIAL/COMMERCIAL MULTI-TENANT LEASE - NET
AIR COMMERCIAL REAL ESTATE ASSOCIATION
1. Basic Provisions (“Basic Provisions”).
1.1 Parties: This Lease (“Lease”), dated for reference purposes only November 4 , 2015 is made by and between THE NORTHWESTERN MUTUAL LIFE INSURANCE COMPANY, a Wisconsin corporation (“Lessor”) and MaxLinear, Inc., a Delaware corporation (“Lessee”), (collectively the “Parties”, or individually a “Party”).
1.2(a) Premises: That certain portion of the Project (as defined below), including all improvements therein or to be provided by Lessor under the terms of this Lease, commonly known by the street address of 50 Parker located in the City of Irvine, County of Orange, State of California, with zip code 92618, as outlined on Exhibit “A” attached hereto (“Premises”) and generally described as (describe briefly the nature of the Premises): an approximately 50,235 square foot industrial building in addition to Lessee’s rights to use and occupy the Premises as hereinafter specified, Lessee shall have non-exclusive rights to the Common Areas (as defined in Paragraph 27 below) as hereinafter specified, but shall not have any rights to the roof, exterior walls or utility raceways of the building containing the Premises (“Building”) or to any other buildings in the Project. The Premises, the Building, the Common Areas, the land upon which they are located, along with all other buildings and improvements thereon, are herein collectively referred to as the “Project.” (See also Paragraph 2)
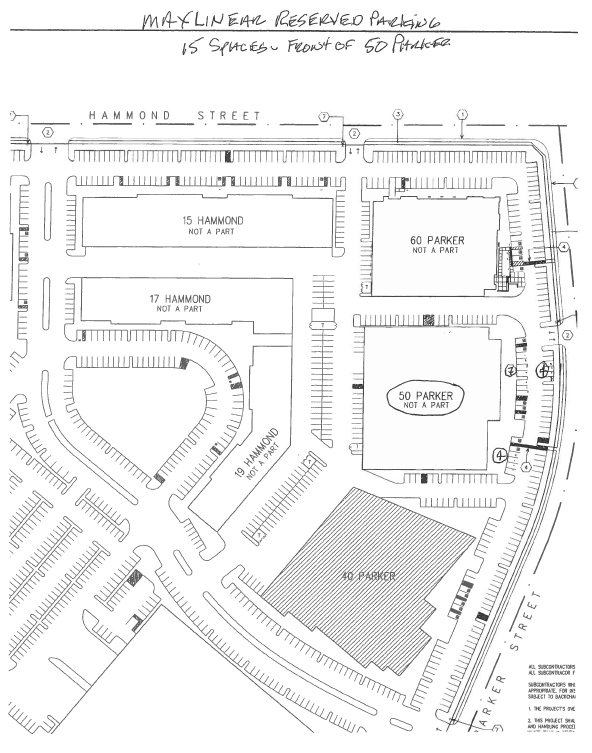
1.2(b) Parking: 165 unreserved vehicle parking spaces (“Unreserved Parking Spaces”); and 15 reserved vehicle parking spaces located at the front of the Building as shown on Exhibit “B” attached hereto (“Reserved Parking Spaces”) for a total of 180 parking spaces. (See also Paragraph 2.6) See Paragraph 78 of the Lease Addendum. Notwithstanding anything to the contrary set forth herein, in the event the City of Irvine determines that based upon the plans and specifications for Lessee’s Improvements (i) fewer than 180 parking spaces, or (ii) greater than 180 parking spaces, are required for the issuance of a building permit, Lessor and Lessee hereby agree that the number of unreserved parking spaces (but not the reserved parking spaces) shall be increased or decreased to satisfy the actual number of aggregate required parking spaces (not to exceed a total of 201 parking spaces, which includes both non-reserved and reserved parking spaces, which is the maximum required by the City of Irvine regulations for the Premises), whichever shall be applicable.
1.3 Term: Six (6) years and Two (2) months (“Original Term”) commencing on the later to occur of (i) April 1, 2016, and (ii) the date upon which the Base Building and Lessee Improvements construction is Substantially Complete and possession of the Substantially Complete Premises has been tendered by Lessor to Lessee (“Commencement Date”) and ending six (6) years and two (2) months thereafter (“Expiration Date”). (See also Paragraph 3) For purposes of this Lease, “Substantially Complete” shall mean the date Lessor’s architect certifies in writing that the Base Building Improvements and Lessee’s Improvements (as said terms are defined in Paragraph 73 of the Lease Addendum) are complete except for punchlist items.
1.4 Early Possession: Provided that Lessee has obtained the insurance required by Paragraph 68(12) of the Lease Addendum and has delivered to Lessor the required certificates of insurance thereto, Lessee shall be entitled access to the Premises during the sixty (60) day period immediately prior to the projected Commencement Date, notice of which 60-day period shall be delivered by Lessor to Lessee at such time as Lessor’s architect shall inform Lessor of its estimate of the date that the Base Building Improvements and Lessee Improvements shall be completed (except for punchlist items) in approximately sixty (60) days. Said early access
|
| | |
_____ _____ INITIALS | Page 1 of 26 | _____ _____ INITIALS |
©1999 – AIR COMMERCIAL REAL ESTATE ASSOCIATION
shall be for the purpose of installing furniture, fixtures, trade fixtures, personal property, telecommunications, cabling and equipment which are exclusive of any Lessee Improvements; provided, however, that such access shall in no way interfere with Landlord’s construction of the Base Building Improvements or the Lessee Improvements. Any such early access/occupancy shall be subject to the terms and conditions of the Lease, except the obligation under the Lease to Base Rent, Common Area Operating Expenses, and utility costs (including HVAC). (“Early Possession Date”).
(See also Paragraphs 3.2 and 3.3)
1.5 Base Rent: $67, 817. 00 per month (“Base Rent”), payable on the first (1st) day of each month commencing on the Commencement Date. In the event the Commencement Date is not in the first calendar day of the month, Lessee’s first payment of Base Rent shall include the pro rata portion of the month in which the Commencement Date occurs. (See also Paragraph 4)
þ If this box is checked, there are provisions in this Lease for the Base Rent to be adjusted.
1.6 Lessee’s Share of Common Area Operating Expenses: twelve and 3/10th percent (12.3%) (“Lessee’s Share”). Lessee’s Share of Common Area Operating Expenses is based upon the ratio of the square footage of the Premises to the square footage of all of the buildings in the Project, i.e., 408,502 square feet. In the event that the square footage of the Premises or the other buildings in the Project shall hereafter change, Lessor shall compute the revised Lessee’s Share of Common Area Operating Expenses and inform Lessee in writing thereof. In the event the Commencement Date is not in the first calendar day of the month, Lessee’s first payment of Common Area Operating Expenses shall include the pro rata portion of the month in which the Commencement Pate occurs.
1.7 Base Rent and Other Monies Paid Upon Execution:
| |
(a) | Base Rent: $67,817.00 for the period first full calendar month of the Lease Term. |
| |
(b) | Common Area Operating Expenses: $14,066.00 for the period first full calendar month of the Lease Term. |
| |
(c) | Security Deposit: $102,354.00 (“Security Deposit”). (See also Paragraph 5) |
| |
(e) | Total Due Upon Execution of this Lease: $184,237.00. |
1.8 Agreed Use: General office, sales, training, research and development, engineering, design and testing of semiconductor equipment, systems, chips, and related goods and incidental uses , subject to applicable municipal, zoning, state and federal regulations, and applicable CC&Rs. (See also Paragraph 6)
See paragraphs 52.1 through 52.9 of Lease Addendum.
1.9 Insuring Party. Lessor is the “Insuring Party”. (See also Paragraph 8) and Paragraph 68 of the Lease Addendum.
1.10 Real Estate Brokers: (See also Paragraph 15)
(a) Representation: The following real estate brokers (the “Brokers”) and brokerage relationships exist in this transaction (check applicable boxes):
þ Voit Real Estate Services represents Lessor exclusively (“Lessor’s Broker”);
þ Cushman & Wakefield represents Lessee exclusively (“Lessee’s Broker”); or
¨ ____________________ represents both Lessor and Lessor exclusively (“Dual Agency”);
|
| | |
_____ _____ INITIALS | Page 2 of 26 | _____ _____ INITIALS |
©1999 – AIR COMMERCIAL REAL ESTATE ASSOCIATION
(b) Payment to Brokers: Upon execution and delivery of this Lease by both Parties, Lessor shall pay to the Brokers the brokerage fee agreed to in a separate written agreement.
1.11 Guarantor. The obligations of the Lessee under this Lease are to be guaranteed by N/A (“Guarantor”). (See also Paragraph 37)
1.12 Addenda and Exhibits. Attached hereto is an Addendum or Addenda consisting of Paragraphs 50 through 78 and Exhibits “A” through “K” , all of which constitute a part of this Lease.
2. Premises.
2.1 Letting. Lessor hereby leases to Lessee, and Lessee hereby leases from Lessor, the Premises, for the term, at the rental, and upon all of the terms, covenants and conditions set forth in this Lease. Unless otherwise provided herein, any statement of size set forth in this Lease, or that may have been used in calculating Rent, is an approximation which the Parties agree is reasonable and any payments based thereon are not subject to revision whether or not the actual size is more or less. Lessee shall be entitled to possession of the premises twenty-four (24) hours a day, 365 days per year,
2.2 Condition. Lessor shall deliver that portion of the Premises contained within the Building (‘Unit”) to Lessee broom clean and free of debris on the Commencement Date, and, warrants that the existing electrical, plumbing, fire sprinkler, lighting, heating, ventilating and air conditioning systems (“HVAC”), loading doors, if any, and all other such elements in the Unit, other than those constructed by Lessee, shall be in good operating condition on said date and that the structural elements of the roof, bearing walls and foundation of the Unit shall be free of material defects. If a non-compliance with such warranty exists as of the Commencement Date, or if one of such systems or elements should malfunction or fail within the appropriate warranty period, Lessor shall, as Lessor’s sole obligation with respect to such matter, except as otherwise provided in this Lease, promptly after receipt of written notice from Lessee setting forth with specificity the nature and extent of such non-compliance, malfunction or failure, rectify same at Lessors expense. The warranty periods shall be one (1) year following the Commencement Date. If Lessee does not give Lessor the required notice within said 1-year warranty period, correction of any such non-compliance, malfunction or failure shall be governed by the terms of this Lease (e.g., the repairs to the fire sprinkler systems, roof, foundations, and/or bearing walls - see Paragraph 7), and the replacement of an item that is a capital expense for federal income tax purposes, which shall be governed by Paragraph 7.1(d)). Lessor’s warranty as set forth herein shall not apply to any damage caused by Lessee.
2.3 Compliance. Lessor warrants that the improvements on the Premises and the Common Areas comply with the building codes that were in effect at the time that each such improvement, or portion thereof, was constructed, and also with all applicable laws, covenants or restrictions of record, regulations, and ordinances in effect on the Commencement Date (“Applicable Requirements”). Said warranty does not apply to the specific and unique use to which Lessee will put the Premises or to any Alterations or Utility Installations (as defined in Paragraph 7.3(a)) made or to be made by Lessee. As used herein, the term “specific and unique use” shall mean sales, training, research and design and testing of semiconductor equipment, systems, chips and related goods. NOTE: Lessee is responsible for determining whether or not the Applicable Requirements, and especially the zoning, are appropriate for Lessee’s intended use, and acknowledges that past uses of the Premises may no longer be allowed. If the Premises do not comply with said warranty, Lessor shall, except as otherwise provided, promptly after receipt of written notice from Lessee setting forth with specificity the nature and extent of such non-compliance, rectify the same at Lessor’s expense. If Lessee does not give Lessor written notice of a non-compliance with this warranty within 12 months following the Commencement Date, correction of that
|
| | |
_____ _____ INITIALS | Page 3 of 26 | _____ _____ INITIALS |
©1999 – AIR COMMERCIAL REAL ESTATE ASSOCIATION
non-compliance shall be governed by the terms of this Lease (e.g., non-compliance with respect to the fire sprinkler systems, roof, excluding roof membrane, foundations, and/or bearing walls - see Paragraph 7, and replacement of an item which is a capital expense under generally accepted accounting principles (“GAAP”), shall be governed by Paragraph 7.1(d)). If the Applicable Requirements are hereafter changed so as to require during the term of this Lease the construction of an addition to or an alteration of the Unit, Premises and/or Building, or the reinforcement or other physical modification of the Unit, Premises and/or Building (“Capital Expenditure”), Lessor and Lessee shall allocate the cost of such work as follows:
(a) Subject to Paragraph 2.3(c) below, if such Capital Expenditures are required as a result of the specific and unique use of the Premises by Lessee as compared with uses by tenants in general, Lessee shall be fully responsible for the cost thereof.
(b) If such Capital Expenditure is not the result of the specific and unique use of the Premises by Lessee (such as, governmentally mandated seismic modifications), then Lessor and Lessee shall allocate the obligation to pay for the portion of such costs reasonably attributable to the Premises pursuant to the formula set out in Paragraph 7.1(d).
(c) Notwithstanding the above, the provisions concerning Capital Expenditures are intended to apply only to non-voluntary, unexpected, and new Applicable Requirements. Notwithstanding anything to the contrary set forth herein, Lessor shall be responsible for compliance with Applicable Requirements, including compliance with the Americans with Disabilities Act, relating to the exterior of the Building and Common Areas, and the Base Building Improvements and the Lessee Improvements construction. Lessee shall be responsible for all compliance with the Applicable Requirements, including compliance with the Americans with Disabilities Act, arising from all future improvements made by Lessee and from any change in use by Lessee. If the Capital Expenditures are instead triggered by Lessee as a result of an actual or proposed change in use, change in intensity of use, or modification to the Premises then, and in that event, Lessee shall be fully responsible for the cost thereof, and Lessee shall not have any right to terminate this Lease under this subsection.
2.4 Acknowledgements. Lessee acknowledges that: (a) it has been advised by Lessor and/or Brokers to satisfy itself with respect to the condition of the Premises (including but not limited to the electrical, HVAC and fire sprinkler systems, security, environmental aspects, and compliance with Applicable Requirements and the Americans with Disabilities Act), and their suitability for Lessee’s intended use, (b) Lessee has made such investigation as it deems necessary with reference to such matters and assumes all responsibility therefor as the same relate to its occupancy of the Premises, and (c) neither Lessor, Lessor’s agents, nor Brokers have made any oral or written representations or warranties with respect to said matters other than as set forth in this Lease. In addition, Lessor acknowledges that: (i) Brokers have made no representations, promises or warranties concerning Lessee’s ability to honor the Lease or suitability to occupy the Premises, and (ii) it is Lessors sole responsibility to investigate the financial capability and/or suitability of all proposed tenants.
2.6 Vehicle Parking. See Paragraph 78 of the Lease Addendum. Lessee shall be entitled to use the number of Unreserved Parking Spaces and Reserved Parking Spaces specified in Paragraph 1.2(b) on those portions of the Common Areas designated from time to time by Lessor for parking. Lessee shall not use more parking spaces than said number. Said parking spaces shall be used for parking by vehicles no larger than full-size passenger automobiles or pick-up trucks, herein called “Permitted Size Vehicles.” Lessor may regulate the loading and unloading of vehicles by adopting Rules and Regulations as provided in Paragraph 2.9. No vehicles other than Permitted Size Vehicles may be parked in the Common Area without the prior written permission of Lessor.
|
| | |
_____ _____ INITIALS | Page 4 of 26 | _____ _____ INITIALS |
©1999 – AIR COMMERCIAL REAL ESTATE ASSOCIATION
(a) Lessee shall not permit or allow any vehicles that belong to or are controlled by Lessee or Lessee’s employees, suppliers, shippers, customers, contractors or invitees to be loaded, unloaded, or parked in areas other than those designated by Lessor for such activities.
(b) Lessee shall not service or store any vehicles in the Common Areas.
(c) If Lessee permits or allows any of the prohibited activities described in this Paragraph 2.6, then Lessor shall have the right upon reasonable prior notice, or without notice in the case of an emergency, in addition to such other rights and remedies that it may have, to remove or tow away the vehicle involved and charge the cost to Lessee, which cost shall be immediately payable upon demand by Lessor.
2.7 Common Areas - Definition. The term “Common Areas” is defined as all areas and facilities outside the Premises and within the exterior boundary line of the Project and interior utility raceways and installations within the Unit that are provided and designated by the Lessor from time to time for the general non-exclusive use of Lessor, Lessee and other tenants of the Project and their respective employees, suppliers, shippers, customers, contractors and invitees, including parking areas, loading and unloading areas, trash areas, roadways, walkways, driveways and landscaped areas, but excluding fences and gates provided by Lessor for the exclusive use of Lessee.
2.8 Common Areas - Lessee’s Rights. Lessor grants to Lessee, for the benefit of Lessee and its employees, suppliers, shippers, contractors, customers and invitees, during the term of this Lease, the non-exclusive right to use, in common with others entitled to such use, the Common Areas as they exist from time to time, subject to any rights, powers, and privileges reserved by Lessor under the terms hereof or under the terms of any rules and regulations or restrictions governing the use of the Project. Under no circumstances shall the right herein granted to use the Common Areas be deemed to include the right to store any property, temporarily or permanently, in the Common Areas. Any such storage shall be permitted only by the prior written consent of Lessor or Lessor’s designated agent, which consent may be revoked at any time. In the event that any unauthorized storage shall occur then Lessor shall have the right upon reasonable prior notice, or without notice in the case of an emergency, in addition to such other rights and remedies that it may have, to remove the property and charge the cost to Lessee, which cost shall be immediately payable upon demand by Lessor.
2.9 Common Areas - Rules and Regulations. Lessor or such other person(s) as Lessor may appoint shall have the exclusive control and management of the Common Areas and shall have the right, from time to time, to establish, modify, amend and enforce reasonable rules and regulations (“Rules and Regulations”) for the management, safety, care, and cleanliness of the grounds, the parking and unloading of vehicles and the preservation of good order, as well as for the convenience of other occupants or tenants of the Building and the Project and their invitees. A copy of the Rules and Regulations is attached hereto as Exhibit “C”. Lessee agrees to abide by and conform to all such Rules and Regulations, and to cause its employees, suppliers, shippers, customers, contractors and invitees to so abide and conform. Lessor shall not be responsible to Lessee for the non-compliance with said Rules and Regulations by other tenants of the Project.
2.10 Common Areas - Changes. Provided that Lessor shall not unreasonably interfere with Lessee’s use of the Premises or Lessee’s parking rights, Lessor shall have the right, in Lessor’s sole discretion, from time to time:
(a) To make changes to the Common Areas, including, without limitation, changes in the location, size, shape and number of driveways, entrances, parking spaces, parking areas, loading and unloading areas, ingress, egress, direction of traffic, landscaped areas, walkways and utility raceways;
|
| | |
_____ _____ INITIALS | Page 5 of 26 | _____ _____ INITIALS |
©1999 – AIR COMMERCIAL REAL ESTATE ASSOCIATION
(b) To close temporarily any of the Common Areas for maintenance purposes so long as reasonable access to the Premises remains available;
(c) To designate other land outside the boundaries of the Project to be a part of the Common Areas;
(d) To add additional buildings and improvements to the Common Areas;
(e) To use the Common Areas while engaged in making additional improvements, repairs or alterations to the Project, or any portion thereof; and
(f) To do and perform such other acts and make such other changes in, to or with respect to the Common Areas and Project as Lessor may, in the exercise of sound business judgment, deem to be appropriate.
3. Term.
3.1 Term. The Commencement Date, Expiration Date and Original Term of this Lease are as specified in Paragraph 1.3.
3.2 Early Possession. If Lessee totally or partially occupies the Premises prior to the Commencement Date, the obligation to pay Base Rent shall be abated for the period of such early possession. Any such early possession shall not affect the Expiration Date.
3.3 Delay In Possession. Lessor agrees to use its best commercially reasonable efforts to deliver possession of the Premises to Lessee by the Projected Completion Pate (as said Term is defined in Paragraph 73(12) of the Lease Addendum). If, despite said efforts, Lessor is unable to deliver possession as agreed, Lessor shall not be subject to any liability therefor, nor shall such failure affect the validity of this Lease. Lessee shall not, however, be obligated to pay Rent or perform its other obligations until the Commencement Date; provided, however, that Lessee must maintain the insurance required by Paragraph 68(12) of the Lease Addendum during the Early Possession period it receives possession of the Premises. If possession is not delivered within 60 days after the Projected Completion Date, Lessee may, at its option, by notice in writing within 10 days after the end of such 60 day period, cancel this Lease, in which event the Parties shall be discharged from all obligations hereunder. If such written notice is not received by Lessor within said 10 day period, Lessee’s right to cancel shall terminate. Except as otherwise provided, if possession is not tendered to Lessee by the Projected Completion Date and Lessee does not terminate this Lease, as aforesaid, any period of rent abatement that Lessee would otherwise have enjoyed shall run from the date of delivery of possession and continue for a period equal to what Lessee would otherwise have enjoyed under the terms hereof.
3.4 Lessee Compliance. Lessor shall not be required to tender possession of the Premises to Lessee on the Commencement Pate until Lessee complies with its obligation to provide evidence of insurance (Paragraph 8.5). Pending delivery of such evidence, Lessee shall be required to perform all of its obligations under this Lease from and after the Commencement Date, including the payment of Rent, notwithstanding Lessor’s election to withhold possession pending receipt of such evidence of insurance.
4. Rent.
4.1 Rent Defined. All monetary obligations of Lessee to Lessor under the terms of this Lease (except for the Security Deposit) are deemed to be rent (“Rent”).
|
| | |
_____ _____ INITIALS | Page 6 of 26 | _____ _____ INITIALS |
©1999 – AIR COMMERCIAL REAL ESTATE ASSOCIATION
4.2 Common Area Operating Expenses. Lessee shall pay to Lessor during the term hereof, in addition to the Base Rent, Lessee’s Share (as specified in Paragraph 1.6) of all Common Area Operating Expenses, as hereinafter defined, during each calendar year of the term of this Lease, in accordance with the following provisions:
(a) “Common Area Operating Expenses” are defined, for purposes of this Lease, in paragraph 67 of the Lease Addendum.
(b) Any Common Area Operating Expenses and Real Property Taxes that are specifically attributable to the Unit, the Building or to any other building in the Project or to the operation, repair and maintenance thereof, shall be allocated entirely to such Unit, Building, or other building. However, any Common Area Operating Expenses and Real Property Taxes that are not specifically attributable to the Building or to any other building or to the operation, repair and maintenance thereof, shall be equitably allocated by Lessor to all buildings in the Project.
(c) The inclusion of the improvements, facilities and services set forth in Subparagraph 4.2(a) shall not be deemed to impose an obligation upon Lessor to either have said improvements or facilities or to provide those services unless the Project already has the same, Lessor already provides the services, or Lessor has agreed elsewhere in this Lease to provide the same or some of them.
(d) Lessee’s Share of Common Area Operating Expenses shall be payable by Lessee within 30 days after a reasonably detailed statement of actual expenses is presented to Lessee. At Lessor’s option, however, an amount may be estimated by Lessor from time to time of Lessee’s Share of annual Common Area Operating Expenses and the same shall be payable monthly or quarterly, as Lessor shall designate, during each 12 month period of the Lease term, on the same day as the Base Rent is due hereunder. Lessor shall deliver to Lessee within 60 days after the expiration of each calendar year a reasonable detailed statement showing Lessee’s Share of the actual Common Area Operating Expenses incurred during the preceding year. If Lessee’s payments under this Paragraph 4.2(d) during the preceding year exceed Lessee’s Share as indicated on such statement, lessor shall credit the amount of such over-payment against Lessee’s Share of Common Area Operating Expenses next becoming due. If Lessee’s payments under this Paragraph 4.2(d) during the preceding year were less than Lessee’s Share as indicated on such statement, Lessee shall pay to Lessor the amount of the deficiency within 30 days after the delivery by Lessor to Lessee of the statement.
4.3 Payment. Lessee shall cause payment of Rent to be received by Lessor in lawful money of the United States, without offset or deduction (except as specifically permitted in this Lease), on or before the day on which it is due. Rent for any period during the term hereof which is at its address stated herein or to such other persons or place as Lessor may from time to time designate in writing. Acceptance of a payment which is less than the amount then due shall not be a waiver of Lessor’s rights to the balance of such Rent, regardless of Lessor’s endorsement of any check so stating. In the event that any check, draft , or other instrument of payment given by Lessee to Lessor is dishonored for any reason, Lessee agrees to pay to Lessor the sum of $25 in addition to any late charges which may be due.
5. Security Deposit. Lessee shall deposit with Lessor upon execution hereof the Security Deposit as security for Lessee’s faithful performance of its obligations under this Lease. If Lessee fails to pay Rent, or otherwise Defaults under this Lease, Lessor may use apply or retain all or any portion of said Security Deposit for the payment of any amount due Lessor or to reimburse or compensate Lessor for any liability, expense, loss or damage which Lessor may suffer or incur by reason thereof. If Lessor uses or applies all or any portion of the Security Deposit, Lessee shall within 10 days after written request therefor deposit monies with Lessor sufficient
|
| | |
_____ _____ INITIALS | Page 7 of 26 | _____ _____ INITIALS |
©1999 – AIR COMMERCIAL REAL ESTATE ASSOCIATION
to restore said Security Deposit to the full amount required by this Lease. Lessor shall not be required to keep the Security Deposit separate from its general accounts. Within 14 days after the expiration or termination of this Lease, if Lessor elects to apply the Security Deposit only to unpaid Rent, and otherwise within 30 days after the Premises have been vacated pursuant to Paragraph 7.4 below, Lessor shall return that portion of the Security Deposit not used or applied by Lessor. No part of the Security Deposit shall be considered to be held in trust, to bear interest or to be prepayment for any monies to be paid by Lessee under this Lease.
6. Use.
6.1 Use. Subject to all of the covenants and restrictions set forth in this Lease, Lessee shall use and occupy the Premises only for the Agreed Use, or any other legal use which is reasonably comparable thereto, and for no other purpose. Lessee shall not use or permit the use of the Premises in a manner that is unlawful, creates damage, waste or a nuisance, or that disturbs occupants of or causes damage to neighboring premises or properties. Lessor shall not unreasonably without or delay its consent to any written request for a modification of the Agreed Use, so long as the same will not impair the structural integrity of the improvements on the Premises or the mechanical or electrical systems therein, will not increase the risk of contamination with Hazardous Substance, and/or is not significantly more burdensome to the Premises. If Lessor elects to withhold consent, Lessor shall within 7 days after such request give written notification of same, which notice shall include an explanation of Lessor’s objections to the change in the Agreed Use.
6.2 Hazardous Substances. See paragraph 56 of the Lease Addendum.
(g) Lessor Termination Option. If a Hazardous Substance Condition (see Paragraph 9.1(e)) occurs during the term of this Lease, unless Lessee is legally responsible therefor (in which case Lessee shall make the investigation and remediation thereof required by the Applicable Requirements and this Lease shall continue in full force and effect, but subject to Lessor’s rights under Paragraph 56 of the Lease Addendum 6.2(d) and Paragraph 13), Lessor may shall, at Lessor’s option, written notice of which shall be delivered to Lessee within ten (10) days following the occurrence of Grounds for Termination (as said term is fined herein below), either (i) investigate and remediate such Hazardous Substance Condition, if required, as soon as reasonably possible at Lessor’s expense, in which event this Lease shall continue in full force and effect, or (ii) if the estimated cost to remediate such condition exceeds 12 times the then monthly Base Rent or $100,000, whichever is greater, or by reason of the Hazardous Substance the Premises shall not be safe to occupy for a period of six (6) months or longer (jointly, the “Grounds for Termination”), give written notice to Lessee, within 30 days after receipt by Lessor of knowledge of the occurrence of such Hazardous Substance Condition, of Lessor’s desire to terminate this Lease as of the first to occur of (i) the date 60 days following the date of such notice, or (ii) at such time as the Premises are not longer safe to occupy. In the event Grounds for Termination arise and Lessor elects not to terminate this Lease, Lessee shall have the right to terminate this Lease by written notice to Lessor within ten (10) days following receipt from Lessor of its election not to terminate.
6.3 Lessee’s Compliance with Applicable Requirements. Except as otherwise provided in this Lease, Lessee shall, at Lessee’s sole expense, fully, diligently and in a timely manner, materially comply with all Applicable Requirements, the requirements of any applicable fire insurance underwriter or rating bureau, and the recommendations of Lessor’s engineers and/or consultants which relate in any manner to Lessee’s use of the Premises, without regard to whether said requirements are now in effect or become effective after the Start Date. Lessee shall, within 10 days after receipt of Lessor’s written request, provide Lessor with copies of all permits and other documents, and other information evidencing Lessee’s compliance with any Applicable Requirements specified by Lessor, and shall immediately upon receipt, notify Lessor in writing (with copies of any documents
|
| | |
_____ _____ INITIALS | Page 8 of 26 | _____ _____ INITIALS |
©1999 – AIR COMMERCIAL REAL ESTATE ASSOCIATION
involved) of any threatened or actual claim, notice, citation, warning, complaint or report pertaining to or involving the failure of Lessee or the Premises to comply with any Applicable Requirements.
6.4 Inspection; Compliance. Lessor and Lessor’s “Lender” (as defined in Paragraph 30) and consultants shall have the right to enter into Premises at any time, in the case of an emergency, and otherwise at reasonable times, for the purpose of inspecting the condition of the Premises and for verifying compliance by Lessee with this Lease. The cost of any such inspections shall be paid by Lessor, unless a violation by Lessee of Applicable Requirements, or a contamination is found to exist or be imminent for which Lessee is responsible under this Lease. In such case, Lessee shall upon request reimburse Lessor for the cost of such inspection, so long as such inspection is reasonably related to the violation or contamination. In no event shall any inspection undertaken by Lessor relieve Lessee of its obligation to maintain and repair the Premises or for liability to Lessor and/or third parties for Lessee’s failure to adequately maintain and repair the Premises as required by this Lease.
7. Maintenance; Repairs, Utility Installations; Trade Fixtures and Alterations.
7.1 Lessee’s Obligations.
(a) In General. Subject to the provisions of Paragraph 2.2 (Condition), 2.3 (Compliance), 6.3 (Lessee’s Compliance with Applicable Requirements), 7.2 (Lessor’s Obligations), 9 (Damage or Destruction), and 14 (Condemnation), Lessee shall, at Lessee’s sole expense, keep the Premises, Utility Installations (intended for Lessee’s exclusive use, no matter where located), and Alterations in good order, condition and repair (whether or not the portion of the Premises requiring repairs, or the means of repairing the same, are reasonably or readily accessible to Lessee, and whether or not the need for such repairs occurs as a result of Lessee’s use, any prior use, the elements or the age of such portion of the Premises), including, but not limited to, all equipment or facilities, such as plumbing, lighting facilities, boilers, pressure vessels, fixtures, interior walls, interior surfaces of exterior walls, ceilings, roof membrane, floors, fences and gates made available for Lessee’s exclusive use, windows, doors, plate glass, and skylights but excluding any items which are the responsibility of Lessor pursuant to Paragraph 7.2. Lessee, in keeping the Premises in good order, condition and repair, shall exercise and perform good maintenance practices. Lessee’s obligations shall include restorations, replacements or renewals when necessary to keep the Premises and all improvements thereon or a part thereof in good order, condition and state of repair, and free of any dangerous conditions. Lessee shall routinely (but not less often than every twelve months) inspect the Premises to determine whether maintenance or repair of any portion thereof is required in accordance with the terms of this Lease, and shall provide Lessor with a written report of the results of its inspection. Lessee shall immediately notify Lessor in writing if it believes a dangerous condition exists on the Premises and shall promptly take such action as may be required to eliminate said dangerous condition.
(b) Service Contracts. Subject to reimbursement pursuant to the provisions of Paragraph 4.2, above, Lessor shall procure and maintain contracts in customary form and substance for, and with contractors specializing and experienced in the maintenance of the following equipment and improvements, if any, if and when installed on the Premises: (i) HVAC equipment, (ii) boiler and pressure vessels, (iii) clarifiers, and (iv) any other equipment, if reasonably required by Lessor. See Paragraph 67(a) of the Lease Addendum regarding the cost of repairs and replacements of the HVAC system which constitute capital expenditures.
(c) Failure to Perform. If Lessee fails to perform Lessee’s obligations under this Paragraph 7.1, Lessor may enter upon the Premises after 10 days’ prior written notice to Lessee (except in the case of an emergency, in which case no notice shall be required), perform such obligations on Lessee’s behalf, and put the Premises in good order, condition and repair, and Lessee shall promptly reimburse Lessor for the cost thereof.
|
| | |
_____ _____ INITIALS | Page 9 of 26 | _____ _____ INITIALS |
©1999 – AIR COMMERCIAL REAL ESTATE ASSOCIATION
(d) Replacement. Subject to Paragraphs 2.2 and 2.3, above, Lessee’s indemnification of Lessor as set forth in Paragraph 8.7 below, and without relieving Lessee of liability resulting from Lessee’s failure to exercise and perform good maintenance practices, if the replacement or major repair of an item described in Paragraph 7.1(a) and 7.1(b) is required to be capitalized under GAAP, then such item shall be replaced by Lessor, and the cost thereof shall be prorated between the Parties and Lessee shall only be obligated to pay, each month during the remainder of the term of this Lease, on the date on which Base Rent is due, an amount required to fully amortize such cost based upon the useful life thereof as determined by Lessor in its reasonable judgment using an interest rate equal to the greater of (i) seven and one half percent (7.5%) per annum, and (ii) the Wall Street Journal Prime Rate plus 400 basis points, not to exceed ten percent (10% per annum. Lease may, however, prepay its obligation at any time.
7.2 Lessor’s Obligations. Subject to the provisions of Paragraphs 2.2 (Condition), 2.3 (Compliance), 4.2 (Common Area Operating Expenses), 6 (Use), 7.1 (Lessee’s Obligations), 9 (Damage or Destruction) and 14 (Condemnation), Lessor, subject to reimbursement pursuant to Paragraph 4.2, shall keep in good order, condition and repair the foundations, exterior walls, structural condition of interior bearing walls, exterior roof, fire sprinkler system, HVAC system, Common Area fire alarm and/or smoke detection systems, fire hydrants, parking lots, walkways, parkways, driveways, landscaping, fences, signs and utility systems serving the Common Areas and all parts thereof, as well as providing the services for which there is a Common Area Operating Expense pursuant to Paragraphs 4.2 and 67. Lessor shall not be obligated to paint the exterior or interior surfaces of exterior walls nor shall Lessor be obligated to maintain, repair or replace windows, doors or plate glass of the Premises. Lessee expressly waives the benefit of any statute now or hereafter in effect to the extent it is inconsistent with the terms of this Lease. Notwithstanding anything to the contrary set forth herein, (i) Lessor, at its sole cost and expense, and not as a Common Area Operating Expense, shall be responsible for maintenance and repair of the structural portions of the Premises only, including the foundation, exterior walls and roof (excluding the roof membrane), (ii) Lessor shall be responsible for maintenance and repair of the HVAC system and life safety system, the cost of which shall be a Common Area Operating Expense, and (iii) Lessee shall, at Lessee’s sole cost and expense, be responsible for maintenance, repair and replacement of the HVAC system and equipment installed to serve Lessee’s laboratory areas.
7.3 Utility Installations; Trade Fixtures; Alterations.
(a) Definitions. The term “Utility Installations” refers to all floor and window coverings, air lines, power panels, electrical distribution, security and fire protection systems, communication systems, lighting fixtures, HVAC equipment, plumbing, and fencing and gates in or on the Premises. The term “Trade Fixtures” shall mean Lessee’s machinery and equipment that can be removed without doing material damage to the Premises. The term “Alterations” shall mean any modification of the improvements, other than Utility Installations or Trade Fixtures, whether by addition or deletion. “Lessee Owned Alterations and/or Utility Installations” are defined as Alterations and/or Utility Installations made by Lessee that are not yet owned by Lessor pursuant to Paragraph 7.4(a).
(b) Consent. Lessee shall not make any Alterations or Utility Installations to the Premises without Lessor’s prior written consent. Lessee may, however, make non-structural Utility Installations to the interior of the Premises (excluding the roof) without such consent but upon notice to Lessor, as long as they are not visible from the outside, do not involve puncturing, relocating or removing the roof, the roof membrane, or any existing walls, and the cumulative cost thereof during this Lease as extended does not exceed a sum equal to 3 month’s Base Rent in the aggregate or a sum equal to one month’s Base Rent in any one year. Notwithstanding the foregoing, Lessee shall not make or permit any roof penetrations and/or install anything on the roof without the prior written approval of Lessor. Lessor may, as a precondition to granting such approval, require Lessee to
|
| | |
_____ _____ INITIALS | Page 10 of 26 | _____ _____ INITIALS |
©1999 – AIR COMMERCIAL REAL ESTATE ASSOCIATION
utilize a contractor chosen and/or approved by Lessor. Any Alterations or Utility Installations that Lessee shall desire to make and which require the consent of the Lessor shall be presented to Lessor in written form with detailed plans. Consent shall be deemed conditioned upon Lessee’s: (i) acquiring all applicable governmental permits, (ii) furnishing Lessor with copies of both the permits and the plans and specifications prior to commencement of the work, and (iii) compliance with all conditions of said permits and other Applicable Requirements in a prompt and expeditious manner. Any Alterations or Utility Installations shall be performed in a workmanlike manner with good and sufficient materials. Lessee shall promptly upon completion furnish Lessor with as-built plans and specifications. For work which costs an amount in excess of one month’s Base Rent, Lessor may condition its consent upon Lessee providing a lien and completion bond in an amount equal to 150% of the estimated cost of such Alteration or Utility Installation and/or upon Lessee’s posting an additional Security Deposit with Lessor.
(c) Indemnification. Lessee shall pay, when due, all claims for labor or materials furnished or alleged to have been furnished to or for Lessee at or for use on the Premises, which claims are or may be secured by any mechanic’s or materialman’s lien against the Premises or any interest therein. Lessee shall give Lessor not less than 10 days notice prior to the commencement of any work in, on or about the Premises, and Lessor shall have the right to post notices of non-responsibility. If Lessee shall contest the validity of any such lien, claim or demand, then Lessee shall, at its sole expense defend and protect itself, Lessor and the Premises against the same and shall pay and satisfy any such adverse judgment that may be rendered thereon before the enforcement thereof. If Lessor shall require, Lessee shall furnish a surety bond in an amount equal to 150% of the amount of such contested lien, claim or demand, indemnifying Lessor against liability for the same. If Lessor elects to participate in any such action, Lessee shall pay Lessor’s attorneys’ fees and costs.
7.4 Ownership; Removal; Surrender; and Restoration.
(a) Ownership. Subject to Lessor’s right to require removal or elect ownership as hereinafter provided, all Alterations and Utility Installations made by Lessee shall be the property of Lessee, but considered a part of the Premises. Lessor may, at any time, elect in writing to be the owner of all or any specified part of the Lessee Owned Alterations and Utility Installations. Unless otherwise instructed per paragraph 7.4(b) hereof, all Lessee Owned Alterations and Utility Installations shall, at the expiration or termination of this Lease, become the property of Lessor and be surrendered by Lessee with the Premises.
(b) Removal. By delivery to Lessee of written notice from Lessor at the time it consents to such improvements, Lessor may require that any or all improvements to the Electronic Lab Areas (as said term is defined in Paragraph 73(b) of the Lease Addendum) of the Premises, and any or all Lessee Owned Alterations or Utility Installations, be removed by the expiration or termination of this Lease. Lessor may require the removal at any time of all or any part of any Lessee Owned Alterations or Utility Installations made without the required consent and return of such areas to shell warehouse conditions.
(c) Surrender; Restoration. Lessee shall surrender the Premises by the Expiration Date or any earlier termination date, with all of the improvements, parts and surfaces thereof broom clean and free of debris, and in good operating order, condition and state of repair, (i) ordinary wear and tear, (ii) casualty items that are not Lessee’s responsibility to maintain, repair, or restore (unless damaged by Lessee) and Hazardous Substances for which Lessee is not responsible under the provisions of Paragraph 56 of the Lease, and (iii) condemnation, excepted. “Ordinary wear and tear” shall not include any damage or deterioration that would have been prevented by good maintenance practice. Lessee shall repair any damage occasioned by the installation, maintenance or removal of Trade Fixtures, Lessee owned Alterations and/or Utility Installations, furnishings, and equipment as well as the removal of any storage tank installed by or for Lessee. Lessee shall also completely
|
| | |
_____ _____ INITIALS | Page 11 of 26 | _____ _____ INITIALS |
©1999 – AIR COMMERCIAL REAL ESTATE ASSOCIATION
remove from the Premises any and all Hazardous Substances brought onto the Premises by or for Lessee, or any third party (except Hazardous Substances which were deposited via underground migration from areas outside of the Project) even if such removal would require Lessee to perform or pay for work that exceeds statutory requirements. Trade Fixtures shall remain the property of Lessee and shall be removed by Lessee. The failure by Lessee to timely vacate the Premises pursuant to this Paragraph 7.4(c) without the express written consent of Lessor shall constitute a holdover under the provisions of Paragraph 26 below.
8. Insurance; Indemnity.
8.1 Payment of Premiums. The cost of the premiums for the insurance policies required to be carried by Lessor, pursuant to Paragraphs 8.2(b), 8.3(a) and 8.3(b), shall be a Common Area Operating Expense. Premiums for policy periods commencing prior to, or extending beyond, the term of this Lease shall be prorated to coincide with the corresponding Start Date or Expiration Date.
8.2 Liability Insurance. See paragraph 68 of the Lease Addendum.
8.5 Insurance Policies. Insurance required herein shall be by companies duly licensed or admitted to transact business in the state where the Premises are located, and maintaining during the policy term a “General Policyholders Rating” of at least A-, VI, as set forth in the most current issue of “Best’s Insurance Guide”, or such other rating as may be required by a Lender. Lessee shall not do or permit to be done anything which invalidates the required insurance policies. Lessee shall, prior to the Start Date, deliver to Lessor certified copies of policies of such insurance or certificates and endorsements evidencing the existence and amounts of the required insurance. No such policy shall be cancelable or subject to modification except after 30 days prior written notice to Lessor, except for non-payment of premiums, upon which only ten (10) days notice shall be required. Lessee shall, at least 30 days prior to the expiration of such policies, furnish Lessor with evidence of renewals or “insurance binders” evidencing renewal thereof, or Lessor may order such insurance and charge the cost thereof to Lessee, which amount shall be payable by Lessee to Lessor upon demand. Such policies shall be for a term of at least one year, or the length of the remaining term of this Lease, whichever is less. If either Party shall fail to procure and maintain the insurance required to be carried by it, the other Party may, but shall not be required to, procure and maintain the same.
8.6 Waiver of Subrogation. Notwithstanding anything to the contrary in this Lease, Lessee and Lessor each hereby release and relieve the other, and waive their entire right to recover damages against the other, for loss of or damage to its property arising out of or incident to the perils required to be insured against herein. The effect of such releases and waivers is not limited by the amount of insurance carried or required, or by any deductibles applicable hereto. The Parties agree to have their respective property damage insurance carriers waive any right to subrogation that such companies may have against Lessor or Lessee, as the case may be, so long as the insurance is not invalidated thereby.
8.7 Indemnity. Except for Lessor’s gross negligence, or willful misconduct, or Breach of this Lease, Lessee shall indemnify, protect, defend and hold harmless the Premises, Lessor and its agents, including without limitation Lessor’s property managers (William A. Budge, Inc., and McKennaco, dba McKenna & Co.), Lessor’s master or ground lessor, partners and Lenders, from and against any and all claims, loss of rents and/or damages, liens, judgments, penalties, attorneys’ and consultants’ fees, expenses and/or liabilities arising out of, involving, or in connection with, the use and/or occupancy of the Premises by Lessee. If any action or proceeding is brought against Lessor by reason of any of the foregoing matters, Lessee shall upon notice defend the same at Lessee’s expense by counsel reasonably satisfactory to Lessor and Lessor shall cooperate with Lessee in such defense. Lessor need not have first paid any such claim in order to be defended or indemnified.
|
| | |
_____ _____ INITIALS | Page 12 of 26 | _____ _____ INITIALS |
©1999 – AIR COMMERCIAL REAL ESTATE ASSOCIATION
8.8 Exemption of Lessor from Liability. Lessor shall not be liable for injury or damage to the person or goods, wares, merchandise or other property of Lessee, Lessee’s employees, contractors, invitees, customers, or any other person in or about the Premises, whether such damage or injury is caused by or results from fire, steam, electricity, gas, water or rain, or from the breakage, leakage, obstruction or other defects of pipes, fire sprinklers, wires, appliances, plumbing, HVAC or lighting fixtures, or from any other cause, whether the said injury or damage results from conditions arising upon the Premises or upon other portions of the Building, or from other sources or places. Lessor shall not be liable for any damages arising from any act or neglect of any other tenant of Lessor nor from the failure of Lessor to enforce the provisions of any other lease in the Project. Notwithstanding Lessor’s negligence or breach of this Lease, Lessor shall under no circumstances be liable for injury to Lessee’s business or for any loss of income or profit therefrom.
9. Damage or Destruction.
9.1 Definitions.
(a) “Premises Partial Damage” shall mean damage or destruction to the improvements on the Premises, other than Lessee Owned Alterations and Utility Installations, which can reasonably be repaired in 180 days or less from the date of the damage or destruction, and the cost thereof does not exceed a sum equal to 6 month’s Base Rent. Lessor shall notify Lessee in writing within 30 60 days from the date of the damage or destruction as to whether or not the damage is Partial or Total.
(b) “Premises Total Destruction” shall mean damage or destruction to the improvements on the Premises, other than Lessee Owned Alterations and Utility Installations and Trade Fixtures, which cannot reasonably be repaired in 180 days or less from the date of the damage or destruction and/or the cost thereof exceeds a sum equal to 6 month’s Base Rent. Lessor shall notify Lessee in writing within 30 days from the date of the damage or destruction as to whether or not the damage is Partial or Total.
(c) “Insured Loss” shall mean damage or destruction to improvements on the Premises, other than Lessee Owned Alterations and Utility Installations and Trade Fixtures, which was caused by an event required to be covered by the insurance described in Paragraph 8.3(a), irrespective of any deductible amounts or coverage limits involved.
(d) “Replacement Cost” shall mean the cost to repair or rebuild the improvements owned by Lessor at the time of the occurrence to their condition existing immediately prior thereto, including demolition, debris removal and upgrading required by the operation of Applicable Requirements, and without deduction for depreciation.
(e) “Hazardous Substance Condition” shall mean the occurrence or discovery of a condition involving the presence of, or a contamination by, a Hazardous Substance as defined in Paragraph 6.2(a), in, on, or under the Premises.
9.2 Partial Damage - Insured Loss. If a Premises Partial Damage that is an Insured Loss occurs, then Lessor shall, at Lessor’s expense, repair such damage (but not Lessee’s Trade Fixtures or Lessee Owned Alterations and Utility Installations) as soon as reasonably possible and this Lease shall continue in full force and effect. Notwithstanding the foregoing, if the required insurance was not in force or the insurance proceeds are not sufficient to effect such repair, the Insuring Party shall promptly contribute the shortage in proceeds as and when required to complete said repairs. In the event, however, such shortage was due to the fact that, by reason of the unique nature of the improvements, full replacement cost insurance coverage was not commercially reasonable and available, Lessor shall have no obligation to pay for the shortage in insurance proceeds or to fully
|
| | |
_____ _____ INITIALS | Page 13 of 26 | _____ _____ INITIALS |
©1999 – AIR COMMERCIAL REAL ESTATE ASSOCIATION
restore the unique aspects of the Premises unless Lessee provides Lessor with the funds to cover same, or adequate assurance thereof, within 10 days following receipt of written notice of such shortage and request therefor. If Lessor receives said funds or adequate assurance thereof within said 10 day period, the party responsible for making the repairs shall complete them as soon as reasonably possible and this Lease shall remain in full force and effect. If such funds or assurance are not received, Lessor may nevertheless elect by written notice to Lessee within 10 days thereafter to: (i) make such restoration and repair as is commercially reasonable with Lessor paying any shortage in proceeds, in which case this Lease shall remain in full force and effect, or (ii) have this Lease terminate 30 days thereafter. Lessee shall not be entitled to reimbursement of any funds contributed by Lessee to repair any such damage or destruction. Premises Partial Damage due to flood or earthquake shall be subject to Paragraph 9.3, notwithstanding that there may be some insurance coverage, but the net proceeds of any such insurance shall be made available for the repairs if made by either Party.
9.3 Partial Damage - Uninsured Loss. If a Premises Partial Damage that is not an Insured Loss occurs, unless caused by a negligent or willful act of Lessee (in which event Lessee shall make the repairs at Lessee’s expense), Lessor may either: (i) repair such damage as soon as reasonably possible at Lessor’s expense, in which event this Lease shall continue in full force and effect, or (ii) terminate this Lease by giving written notice to Lessee within 30 days after receipt by Lessor of knowledge of the occurrence of such damage. Such termination shall be effective 60 days following the date of such notice. In the event Lessor elects to terminate this Lease, Lessee shall have the right within 10 days after receipt of the termination notice to give written notice to Lessor of Lessee’s commitment to pay for the repair of such damage without reimbursement from Lessor. Lessee shall provide Lessor with said funds or satisfactory assurance thereof within 30 days after making such commitment. In such event this Lease shall continue in full force and effect, and Lessor shall proceed to make such repairs as soon as reasonably possible after the required funds are available. If Lessee does not make the required commitment, this Lease shall terminate as of the date specified in the termination notice.
9.4 Total Destruction. Notwithstanding any other provision hereof, if a Premises Total Destruction occurs, this Lease shall terminate 60 days following such Destruction.
9.5 Damage Near End of Term. If at any time during the last 6 months of this Lease there is damage for which the cost to repair exceeds one month’s Base Rent, whether or not an Insured Loss, Lessor may terminate this Lease effective 60 days following the date of occurrence of such damage by giving a written termination notice to Lessee within 30 days after the date of occurrence of such damage. Notwithstanding the foregoing, if Lessee at that time has an exercisable option to extend this Lease or to purchase the Premises, then Lessee may preserve this Lease by, (a) exercising such option and (b) providing Lessor with any shortage in insurance proceeds (or adequate assurance thereof) needed to make the repairs on or before the earlier of (i) the date which is 10 days after Lessee’s receipt of Lessor’s written notice purporting to terminate this Lease, or (ii) the day prior to the date upon which such option expires. if Lessee duly exercises such option during such period and provides Lessor with funds (or adequate assurance thereof) to cover any shortage in insurance proceeds, Lessor shall, at Lessor’s commercially reasonable expense, repair such damage as soon as reasonably possible and this Lease shall continue in full force and effect. If Lessee fails to exercise such option and provide such funds or assurance during such period, then this Lease shall terminate on the date specified in the termination notice and Lessee’s option shall be extinguished.
9.6 Abatement of Rent; Lessee’s Remedies.
(a) Abatement. In the event of Premises Partial Damage or Premises Total Destruction or a Hazardous Substance Condition for which Lessee is not responsible under this Lease, the Rent payable by Lessee for the period required for the repair, remediation or restoration of such damage shall be abated in
|
| | |
_____ _____ INITIALS | Page 14 of 26 | _____ _____ INITIALS |
©1999 – AIR COMMERCIAL REAL ESTATE ASSOCIATION
proportion to the degree to which Lessee’s use of the Premises is impaired, but not to exceed the proceeds received from the Rental Value insurance. All other obligations of Lessee hereunder shall be performed by Lessee, and Lessor shall have no liability for any such damage, destruction, remediation, repair or restoration except as provided herein.
(b) Remedies. If Lessor shall be obligated to repair or restore the Premises and does not commence, in a substantial and meaningful way, such repair or restoration within 90 days after such obligation shall accrue, Lessee may, at any time prior to the commencement of such repair or restoration, give written notice to Lessor and to any Lenders of which Lessee has actual notice, of Lessee’s election to terminate this Lease on a date not less than 60 days following the giving of such notice. If Lessee gives such notice and such repair or restoration is not commenced within 30 days thereafter, this Lease shall terminate as of the date specified in said notice. If the repair or restoration is commenced within such 30 days, this Lease shall continue in full force and effect. “Commence” shall mean either the unconditional authorization of the preparation of the required plans, or the beginning of the actual work on the Premises, whichever first occurs.
9.7 Termination; Advance Payments. Upon termination of this Lease pursuant to Paragraph 6.2(g) or Paragraph 9, an equitable adjustment shall be made concerning advance Base Rent and any other advance payments made by Lessee to Lessor. Lessor shall, in addition, return to Lessee so much of Lessee’s Security Deposit as has not been, or is not then required to be, used by Lessor.
9.8 Waive Statutes. Lessor and Lessee agree that the terms of this Lease shall govern the effect of any damage to or destruction of the Premises with respect to the termination of this Lease and hereby waive the provisions of any present or future statute to the extent inconsistent herewith.
10. Real Property Taxes.
10.1 Definition. As used herein, the term “Real Property Taxes” shall include any form of assessment; real estate, general, special, ordinary or extraordinary, or rental levy or tax (other than inheritance, personal income or estate taxes); improvement bond; and/or license fee imposed upon or levied against any legal or equitable interest of Lessor in the Project, Lessor’s right to other income therefrom, and/or Lessor’s business of leasing, by any authority having the direct or indirect power to tax and where the funds are generated with reference to the Project address and where the proceeds so generated are to be applied by the city, county or other local taxing authority of a jurisdiction within which the Project is located. The term “Real Property Taxes” shall also include any tax, fee, levy, assessment or charge, or any increase therein, imposed by reason of events occurring during the term of this Lease, including but not limited to, a change in the ownership of the Project or any portion thereof or a change in the improvements thereon. In calculating Real Property Taxes for any calendar year, the Real Property Taxes for any real estate tax year shall be included in the calculation of Real Property Taxes for such calendar year based upon the number of days which such calendar year and tax year have in common.
10.2 Payment of Taxes. Lessor shall pay the Real Property Taxes applicable to the Common Area Project, and all such amounts shall be included in the calculation of Common Area Operating Expenses in accordance with the provisions of Paragraph 4.2. Lessor shall pay the Real Property Taxes on the parcel on which the Premises are located with respect to the Premises is one hundred percent (100%) of such tax parcel. Lessee shall reimburse Lessor therefor in equal monthly payments at the same time as Base Kent is due and payable hereunder.
|
| | |
_____ _____ INITIALS | Page 15 of 26 | _____ _____ INITIALS |
©1999 – AIR COMMERCIAL REAL ESTATE ASSOCIATION
10.3 Additional improvements. Common Area Operating Expenses shall not include Real Property Taxes specified in the tax assessor’s records and work sheets as being caused by additional improvements placed upon the Project by other lessees or by Lessor for the exclusive enjoyment of such other lessees. Notwithstanding Paragraph 10.2 hereof, Lessee shall, however, pay to Lessor at the time Common Area Operating Expenses are payable under Paragraph 4.2, the entirety of any increase in Real Property Taxes if assessed solely by reason of Alterations, Trade Fixtures or Utility Installations placed upon the Premises by Lessee or at Lessee’s request.
10.4 Joint Assessment. If the Building is not separately assessed, Real Property Taxes allocated to the Building shall be an equitable proportion of the Real Property Taxes for all of the land and improvements included within the tax parcel assessed, such proportion to be determined by Lessor from the respective valuations assigned in the assessor’s work sheets or such other information as may be reasonably available. Lessor’s reasonable determination thereof, in good faith, shall be conclusive.
10.5 Personal Property Taxes. Lessee shall pay prior to delinquency all taxes assessed against and levied upon Lessee Owned Alterations and Utility Installations, Trade Fixtures, furnishings, equipment and all personal property of Lessee contained in the Premises. When possible, Lessee shall cause its Lessee Owned Alterations and Utility Installations, Trade Fixtures, furnishings, equipment and all other personal property to be assessed and billed separately from the real property of Lessor. If any of Lessee’s said property shall be assessed with Lessor’s real property, Lessee shall pay Lessor the taxes attributable to Lessee’s property within 10 days after receipt of a written statement setting forth the taxes applicable to Lessee’s property.
11. Utilities. Effective as of the Commencement Date, Lessee shall pay for all water, gas, heat, light, power, telephone, trash disposal and other utilities and services supplied to the Premises, together with any taxes thereon. Upon request by Lessor, Lessee shall deliver to Lessor copies of Lessee’s utility bill in order to permit Lessor to satisfy its energy management reporting requirements.
12. Assignment and Subletting.
12.1 Lessor’s Consent Required. See paragraphs 53.1 through 53.7 of the Lease Addendum.
13. Default; Breach; Remedies.
13.1 Default; Breach. A “Default” is defined as a failure by the Lessee to comply with or perform any of the terms, covenants, conditions or Rules and Regulations under this Lease. A “Breach” is defined as the occurrence of one or more of the following Defaults, and the failure of Lessee to cure such Default within any applicable grace period:
(a) The abandonment of the Premises.; or the which shall be deemed to include vacating of the Premises without providing a commercially reasonable level of security, or where the coverage of the property insurance described in Paragraph 68(a) is jeopardized as a result thereof, or without providing reasonable assurances to minimize potential vandalism.
(b) The failure of Lessee to make any payment of Rent or any Security Deposit required to be made by Lessee hereunder, whether to Lessor or to a third party, when due, to provide reasonable evidence of insurance or surety bond, or to fulfill any obligation under this Lease which endangers or threatens life or property, where such failure continues for a period of 3 business days following written notice to Lessee.
(c) The failure by Lessee to provide (i) reasonable written evidence of compliance with Applicable Requirements, (ii) the service contracts, (iii) the rescission of an unauthorized assignment or
|
| | |
_____ _____ INITIALS | Page 16 of 26 | _____ _____ INITIALS |
©1999 – AIR COMMERCIAL REAL ESTATE ASSOCIATION
subletting, (iv) an Estoppel Certificate, (v) a requested subordination, (vi) evidence concerning any guaranty and/or Guarantor, (vii) any document requested under Paragraph 41 (easements), or (viii) any other documentation or information which Lessor may reasonably require of Lessee under the terms of this Lease, where any such failure continues for a period of 10 days following written notice to Lessee.
(d) A Default by Lessee as to the terms, covenants, conditions or provisions of this Lease, or of the rules adopted under Paragraph 2.9 hereof, other than those described in subparagraphs 13.1(a), (b) or (c), above, where such Default continues for a period of 30 days after written notice; provided, however, that if the nature of Lessee’s Default is such that more than 30 days are reasonably required for its cure, then it shall not be deemed to be a Breach if Lessee commences such cure within said 30 day period and thereafter diligently prosecutes such cure to completion.
(e) The occurrence of any of the following events: (i) the making of any general arrangement or assignment for the benefit of creditors; (ii) becoming a “debtor” as defined in 11 U.S.C. 5 101 or any successor statute thereto (unless, in the case of a petition filed against Lessee, the same is dismissed within 60 days); (iii) the appointment of a trustee or receiver to take possession of substantially all of Lessee’s assets located at the Premises or of Lessee’s interest in this Lease, where possession is not restored to Lessee within 30 days; or (iv) the attachment, execution or other judicial seizure of substantially all of Lessee’s assets located at the Premises or of Lessee’s interest in this Lease, where such seizure is not discharged within 30 days; provided, however, in the event that any provision of this subparagraph (e) is contrary to any applicable law, such provision shall be of no force or effect, and not affect the validity of the remaining provisions.
13.2 Remedies. If Lessee Breaches fails-to-perform any of its affirmative duties or obligations, within 10 days after written notice (or in case of an emergency, without notice), Lessor may, at its option, perform such duty or obligation on Lessee’s behalf, including but not limited to the obtaining of reasonably required bonds, insurance policies, or governmental licenses, permits or approvals. The costs and expenses of any such performance by Lessor shall be due and payable by Lessee upon receipt of invoice therefor. If any check given to Lessor by Lessee shall not be honored by the bank upon which it is drawn, Lessor, at its option, may require all future payments to be made by Lessee to be by cashier’s check. In the event of a Breach, Lessor may, with or without further notice or demand, and without limiting Lessor in the exercise of any right or remedy which Lessor may have by reason of such Breach:
(a) Terminate Lessee’s right to possession of the Premises by any lawful means, in which case this Lease shall terminate and Lessee shall immediately surrender possession to Lessor. In such event Lessor shall be entitled to recover from Lessee: (i) the unpaid Rent which had been earned at the time of termination; (ii) the worth at the time of award of the amount by which the unpaid rent which would have been earned after termination until the time of award exceeds the amount of such rental loss that the Lessee proves could have been reasonably avoided; (iii) the worth at the time of award of the amount by which the unpaid rent for the balance of the term after the time of award exceeds the amount of such rental loss that the Lessee proves could be reasonably avoided; and (iv) any other amount necessary to compensate Lessor for all the detriment proximately caused by the Lessee’s failure to perform its obligations under this Lease or which in the ordinary course of things would be likely to result therefrom, including but not limited to the cost of recovering possession of the Premises, expenses of reletting, including necessary renovation and alteration of the Premises, reasonable attorneys’ fees, and that portion of any leasing commission aria tenant improvements construction costs paid by Lessor in connection with this Lease applicable to the unexpired term of this Lease. The worth at the time of award of the amount referred to in provision (iii) of the immediately preceding sentence shall be computed by discounting such amount at the discount rate of the Federal Reserve Bank of the District within which the Premises are located at the time of award plus one percent. Efforts by Lessor to mitigate damages caused by Lessee’s
|
| | |
_____ _____ INITIALS | Page 17 of 26 | _____ _____ INITIALS |
©1999 – AIR COMMERCIAL REAL ESTATE ASSOCIATION
Breach of this Lease shall not waive Lessor’s right to recover damages under Paragraph 12. If termination of this Lease is obtained through the provisional remedy of unlawful detainer, Lessor shall have the right to recover in such proceeding any unpaid Rent and damages as are recoverable therein, or Lessor may reserve the right to recover all or any part thereof in a separate suit. If a notice and grace period required under Paragraph 13.1 was not previously given, a notice to pay rent or quit, or to perform or quit given to Lessee under the unlawful detainer statute shall also constitute the notice required by Paragraph 13.1. In such case, the applicable grace period required by Paragraph 13.1 and the unlawful detainer statute shall run concurrently, and the failure of Lessee to cure the Default within the greater of the two such grace periods shall constitute both an unlawful detainer and a Breach of this Lease entitling Lessor to the remedies provided for in this Lease and/or by said statute.
(b) Continue the Lease and Lessee’s right to possession and recover the Rent as it becomes due, in which event Lessee may sublet or assign, subject only to reasonable limitations. Acts of maintenance, efforts to relet, and/or the appointment of a receiver to protect the Lessor’s interests, shall not constitute a termination of the Lessee’s right to possession.
(c) Pursue any other remedy now or hereafter available under the laws or judicial decisions of the state wherein the Premises are located. The expiration or termination of this Lease and/or the termination of Lessee’s right to possession shall not relieve Lessee from liability under any indemnity provisions of this Lease as to matters occurring or accruing during the term hereof or by reason of Lessee’s occupancy of the Premises.
13.3 Inducement Recapture. Any agreement for free or abated rent or other charges, or for the giving or paying by Lessor to or for Lessee of any cash or other bonus, inducement or consideration for Lessee’s entering into this Lease, including, without limitation the Allowance set forth in Paragraph 73(7), all of which concessions are hereinafter referred to as “Inducement Provisions”, shall be deemed conditioned upon Lessee’s full and faithful performance of all of the terms, covenants and conditions of this Lease. Upon Breach of this Lease by Lessee resulting in the termination of this Lease, any such Inducement Provision shall automatically be deemed deleted from this Lease and of no further force or effect, and that percentage of any rent, other charge, bonus, inducement or consideration theretofore abated, given or paid by Lessor under such an Inducement Provision applicable during the Lease Term remaining at the time of Lessee’s breach shall be immediately due and payable by Lessee to Lessor. The acceptance by Lessor of rent or the cure of the Breach which initiated the operation of this paragraph shall not be deemed a waiver by Lessor of the provisions of this paragraph unless specifically so stated in writing by Lessor at the time of such acceptance.
13.4 Late Charges. Lessee hereby acknowledges that late payment by Lessee of Rent will cause Lessor to incur costs not contemplated by this Lease, the exact amount of which will be extremely difficult to ascertain. Such costs include, but are not limited to, processing and accounting charges, and late charges which may be imposed upon Lessor by any Lender. Accordingly, if any Rent shall not be received by Lessor within 5 days after such amount shall be due, then, without any requirement for notice to Lessee, Lessee shall pay to Lessor a one-time late charge equal to 6% 10% of each such overdue amount or $100, whichever is greater. The parties hereby agree that such late charge represents a fair and reasonable estimate of the costs Lessor will incur by reason of such late payment. Acceptance of such late charge by Lessor shall in no event constitute a waiver of Lessee’s Default or Breach with respect to such overdue amount, nor prevent the exercise of any of the other rights and remedies granted hereunder. In the event that a late charge is payable hereunder, whether or not collected, for 3 consecutive installments of Base Rent, then notwithstanding any provision of this Lease to the contrary, Base Rent shall, at Lessor’s option, become due and payable quarterly in advance.
|
| | |
_____ _____ INITIALS | Page 18 of 26 | _____ _____ INITIALS |
©1999 – AIR COMMERCIAL REAL ESTATE ASSOCIATION
13.5 Interest. Any monetary payment due Lessor hereunder, other than late charges, not received by Lessor, when due as to scheduled payments (such as Base Rent) or within 30 days following the date on which it was due for non-scheduled payment, shall bear interest from the date when due, as to scheduled payments, or the 31st day after it was due as to non-scheduled payments. The interest (“Interest”) charged shall be equal to the prime rate reported in the Wall Street Journal as published closest prior to the date when due plus 4%, but shall not exceed the maximum rate allowed by law. Interest is payable in addition to the potential late charge provided for in Paragraph 13.4.
13.6 Breach by Lessor.
(a) Notice of Breach. Lessor shall not be deemed in breach of this Lease unless Lessor fails within a reasonable time to perform an obligation required to be performed by Lessor. For purposes of this Paragraph, a reasonable time shall in no event be less than 30 days after receipt by Lessor, and any Lender whose name and address shall have been furnished Lessee in writing for such purpose, of written notice specifying wherein such obligation of Lessor has not been performed; provided, however, that if the nature of Lessor’s obligation is such that more than 30 days are reasonably required for its performance, then Lessor shall not be in breach if performance is commenced within such 30 day period and thereafter diligently pursued to completion.
(b) Performance by Lessee on Behalf of Lessor. In the event that neither Lessor nor Lender cures said breach within 30 days after receipt of said notice, or if having commenced said cure they do not diligently pursue it to completion, then Lessee may elect to cure said breach at Lessee’s expense and offset from Rent an amount equal to the greater of one month’s Base Rent or the Security Deposit, and to pay an excess of such expense under protest, reserving Lessee’s right to reimbursement from Lessor. Lessee shall document the cost of said cure and supply said documentation to Lessor.
14. Condemnation. If the Premises or any portion thereof are taken under the power of eminent domain or sold under the threat of the exercise of said power (collectively “Condemnation”), this Lease shall terminate as to the part taken as of the date the condemning authority takes title or possession, whichever first occurs. If more than 10% of the floor area of the Unit, or more than 25% of Lessee’s Reserved Parking Spaces, is taken by Condemnation, Lessee may, at Lessee’s option, to be exercised in writing within 10 days after Lessor shall have given Lessee written notice of such taking (or in the absence of such notice, within 10 days after the condemning authority shall have taken possession) terminate this Lease as of the date the condemning authority takes such possession. If Lessee does not terminate this Lease in accordance with the foregoing, this Lease shall remain in full force and effect as to the portion of the Premises remaining, except that the Base Rent shall be reduced in proportion to the reduction in utility of the Premises caused by such Condemnation. Condemnation awards and/or payments shall be the property of Lessor, whether such award shall be made as compensation for diminution in value of the leasehold, the value of the part taken, or for severance damages; provided, however, that Lessee shall be entitled to any compensation for Lessee’s relocation expenses, loss of business goodwill and/or Trade Fixtures, without regard to whether or not this Lease is terminated pursuant to the provisions of this Paragraph. All Alterations and Utility Installations made to the Premises by Lessee, for purposes of Condemnation only, shall be considered the property of the Lessee and Lessee shall be entitled to any and all compensation which is payable therefor. In the event that this Lease is not terminated by reason of the Condemnation, Lessor shall repair any damage to the Premises caused by such Condemnation.
15. Brokerage Fees.
15.3 Representations and Indemnities of Broker Relationships. Lessee and Lessor each represent and warrant to the other that it has had no dealings with any person, firm, broker or finder (other than the Brokers,
|
| | |
_____ _____ INITIALS | Page 19 of 26 | _____ _____ INITIALS |
©1999 – AIR COMMERCIAL REAL ESTATE ASSOCIATION
if any) in connection with this Lease, and that no one other than said named Brokers is entitled to any commission or finder’s fee in connection herewith. Lessee and Lessor do each hereby agree to indemnify, protect, defend and hold the other harmless from and against liability for compensation or charges which may be claimed by any such unnamed broker, finder or other similar party by reason of any dealings or actions of the indemnifying Party, including any costs, expenses, attorneys’ fees reasonably incurred with respect thereto.
16. Estoppel Certificates. See paragraphs 54, 71, and 72 of the Lease Addendum.
17. Definition of Lessor. The term “Lessor” as used herein shall mean the owner or owners at the time in question of the fee title to the Premises, or, if this is a sublease, of the Lessee’s interest in the prior lease. In the event of a transfer of Lessor’s title or interest in the Premises or this Lease, Lessor shall deliver to the transferee or assignee (in cash or by credit) any unused Security Deposit held by Lessor. Except as provided in Paragraph 15, upon such transfer or assignment and delivery of the Security Deposit, as aforesaid, the prior Lessor shall be relieved of all liability with respect to the obligations and/or covenants under this Lease thereafter to be performed by the Lessor. Subject to the foregoing, the obligations and/or covenants in this Lease to be performed by the Lessor shall be binding only upon the Lessor as hereinabove defined. Notwithstanding the above, and subject to the provisions of Paragraph 20 below, the original Lessor under this Lease, and all subsequent holders of the Lessor’s interest in this Lease shall remain liable and responsible with regard to the potential duties and liabilities of Lessor pertaining to Hazardous Substances as outlined in Paragraph 6.2 above.
18. Severability. The invalidity of any provision of this Lease, as determined by a court of competent jurisdiction, shall in no way affect the validity of any other provision hereof.
19. Days. Unless otherwise specifically indicated to the contrary, the word “days” as used in this Lease shall mean and refer to calendar days.
20. Limitation on Liability. Subject to the provisions of Paragraph 17 above, the obligations of Lessor under this Lease shall not constitute personal obligations of Lessor, the individual partners of Lessor or its or their individual partners, directors, officers or shareholders, and Lessee shall look to the Premises, and to no other assets of Lessor, for the satisfaction of any liability of Lessor with respect to this Lease, and shall not seek recourse against the individual partners of Lessor, or its or their individual partners, directors, officers or shareholders, or any of their personal assets for such satisfaction.
21. Time of Essence. Time is of the essence with respect to the performance of all obligations to be performed or observed by the Parties under this Lease.
22. No Prior or Other Agreements; Broker Disclaimer. This Lease contains all agreements between the Parties with respect to any matter mentioned herein, and no other prior or contemporaneous agreement or understanding shall be effective. Lessor and Lessee each represents and warrants to the Brokers that it has made, and is relying solely upon, its own investigation as to the nature, quality, character and financial responsibility of the other Party to this Lease and as to the use, nature, quality and character of the Premises. Brokers have no responsibility with respect thereto or with respect to any default or breach hereof by either Party. The liability (including court costs and attorneys’ fees), of any Broker with respect to negotiation, execution, delivery or performance by either Lessor or Lessee under this Lease or any amendment or modification hereto shall be limited to an amount up to the fee received by such Broker pursuant to this Lease; provided, however, that the foregoing limitation on each Broker’s liability shall not be applicable to any gross negligence or willful misconduct of such Broker.
23. Notices.
|
| | |
_____ _____ INITIALS | Page 20 of 26 | _____ _____ INITIALS |
©1999 – AIR COMMERCIAL REAL ESTATE ASSOCIATION
23.1 Notice Requirements. All notices required or permitted by this Lease or applicable law shall be in writing and may be delivered in person (by hand or by courier) or may be sent by regular, certified or registered mail or U.S. Postal Service Express Mail, with postage prepaid, or by facsimile transmission, and shall be deemed sufficiently given if served in a manner specified in this Paragraph 23. The addresses noted adjacent to a Party’s signature on this Lease shall be that Party’s address for delivery or mailing of notices. Either Party may by written notice to the other specify a different address for notice, except that upon Lessee’s taking possession of the Premises, the Premises shall constitute Lessee’s address for notice. A copy of all notices to Lessor shall be concurrently transmitted to such party or parties at such addresses as Lessor may from time to time hereafter designate in writing.
23.2 Date of Notice. Any notice sent by registered or certified mail, return receipt requested, shall be deemed given on the date of delivery shown on the receipt card, or if no delivery date is shown, the postmark thereon. If sent by regular mail the notice shall be deemed given three (3) business days after the same is addressed as required herein and mailed with postage prepaid. Notices delivered by United States Express Mail or overnight courier that guarantee next day delivery shall be deemed given one (1) business day after delivery of the same to the Postal Service or courier. If notice is received on a Saturday, Sunday or legal holiday, it shall be deemed received on the next business day.
24. Waivers. No waiver by Lessor of the Default or Breach of any term, covenant or condition hereof by Lessee, shall be deemed a waiver of any other term, covenant or condition hereof, or of any subsequent Default or Breach by Lessee of the same or of any other term, covenant or condition hereof. Lessor’s consent to, or approval of, any act shall not be deemed to render unnecessary the obtaining of Lessor’s consent to, or approval of, any subsequent or similar act by Lessee, or be construed as the basis of an estoppel to enforce the provision or provisions of this Lease requiring such consent. The acceptance of Rent by Lessor shall not be a waiver of any Default or Breach by Lessee. Any payment by Lessee may be accepted by Lessor on account of moneys or damages due Lessor, notwithstanding any qualifying statements or conditions made by Lessee in connection therewith, which such statements and/or conditions shall be of no force or effect whatsoever unless specifically agreed to in writing by Lessor at or before the time of deposit of such payment.
26. No Right to Holdover. See Paragraph 77 of the Lease Addendum.
27. Cumulative Remedies. No remedy or election hereunder shall be deemed exclusive but shall, wherever possible, be cumulative with all other remedies at law or in equity.
28. Covenants and Conditions; Construction of Agreement. All provisions of this Lease to be observed or performed by Lessee are both covenants and conditions. In construing this Lease, all headings and titles are for the convenience of the Parties only and shall not be considered a part of this Lease. Whenever required by the context, the singular shall include the plural and vice versa. This Lease shall not be construed as if prepared by one of the Parties, but rather according to its fair meaning as a whole, as if both Parties had prepared it.
29. Binding Effect; Choice of Law. This Lease shall be binding upon the parties, their personal representatives, successors and assigns and be governed by the laws of the State in which the Premises are located. Any litigation between the Parties hereto concerning this Lease shall be initiated in the county in which the Premises are located.
30. Subordination; Attornment; Non-Disturbance.
30.1 Subordination. This Lease and any Option granted hereby shall be subject and subordinate to any ground lease, mortgage, deed of trust, or other hypothecation or security device (collectively, “Security
|
| | |
_____ _____ INITIALS | Page 21 of 26 | _____ _____ INITIALS |
©1999 – AIR COMMERCIAL REAL ESTATE ASSOCIATION
Device”), now or hereafter placed upon the Premises, to any and all advances made on the security thereof, and to all renewals, modifications, and extensions thereof. Lessee agrees that the holders of any such Security Devices (in this Lease together referred to as “Lender”) shall have no liability or obligation to perform any of the obligations of Lessor under this Lease. Any Lender may elect to have this Lease and/or any Option granted hereby superior to the lien of its Security Device by giving written notice thereof to Lessee, whereupon this Lease and such Options shall be deemed prior to such Security Device, notwithstanding the relative dates of the documentation or recordation thereof.
30.2 Attornment. In the event that Lessor transfers title to the Premises, or the Premises are acquired by another upon the foreclosure or termination of a Security Device to which this Lease is subordinated (i) Lessee shall, subject to the non-disturbance provisions of Paragraph 30.3, attorn to such new owner, and upon request, enter into a new lease, containing all of the terms and provisions of this Lease, with such new owner for the remainder of the term hereof, or, at the election of such new owner, this Lease shall automatically become a new Lease between Lessee and such new owner, upon all of the terms and conditions hereof, for the remainder of the term hereof, and (ii) Lessor shall thereafter be relieved of any further obligations hereunder and such new owner shall assume all of Lessor’s obligations hereunder, except that such new owner shall not: (a) be liable for any act or omission of any prior lessor or with respect to events occurring prior to acquisition of ownership; (b) be subject to any offsets or defenses which Lessee might have against any prior lessor, (c) be bound by prepayment of more than one month’s rent, or (d) be liable for the return of any security deposit paid to any prior lessor.
30.3 Non-Disturbance. With respect to Security Devices entered into by Lessor after the execution of this Lease, Lessee’s subordination of this Lease shall be subject to receiving a commercially reasonable non-disturbance agreement (a “Non-Disturbance Agreement”) from the Lender which Non-Disturbance Agreement provides that Lessee’s possession of the Premises, and this Lease, including any options to extend the term hereof, will not be disturbed so long as Lessee is not in Breach hereof and attorns to the record owner of the Premises. Further, within 60 days after the execution of this Lease, Lessor shall use its commercially reasonable efforts to obtain a Non-Disturbance Agreement from the holder of any pre-existing Security Device which is secured by the Premises. In the event that Lessor is unable to provide the Non-Disturbance Agreement within said 60 days, then Lessee may, at Lessee’s option, directly contact Lender and attempt to negotiate for the execution and delivery of a Non-Disturbance Agreement.
30.4 Self-Executing. The agreements contained in this Paragraph 30 shall be effective without the execution of any further documents; provided, however, that, upon written request from Lessor or a Lender in connection with a sale, financing or refinancing of the Premises, Lessee and Lessor shall execute such further writings as may be reasonably required to separately document any subordination, attornment and/or Non-Disturbance Agreement provided for herein.
31. Attorneys’ Fees. If any Party or Broker brings an action or proceeding involving the Premises whether founded in tort, contract or equity, or to declare rights hereunder, the Prevailing Party (as hereafter defined) in any such proceeding, action, or appeal thereon, shall be entitled to reasonable attorneys’ fees. Such fees may be awarded in the same suit or recovered in a separate suit, whether or not such action or proceeding is pursued to decision or judgment. The term, “Prevailing Party” shall include, without limitation, a Party or Broker who substantially obtains or defeats the relief sought, as the case may be, whether by compromise, settlement, judgment, or the abandonment by the other Party or Broker of its claim or defense. The attorneys’ fees award shall not be computed in accordance with any court fee schedule, but shall be such as to fully reimburse all attorneys’ fees reasonably incurred. In addition, Lessor shall be entitled to attorneys’ fees, costs and expenses incurred in the preparation and service of notices of Default and consultations in connection therewith, whether
|
| | |
_____ _____ INITIALS | Page 22 of 26 | _____ _____ INITIALS |
©1999 – AIR COMMERCIAL REAL ESTATE ASSOCIATION
or not a legal action is subsequently commenced in connection with such Default or resulting Breach ($200 is a reasonable minimum per occurrence for such services and consultation).
32. Lessor’s Access; Showing Premises; Repairs. Lessor and Lessor’s agents shall have the right to enter the Premises at any time, in the case of an emergency, and otherwise upon not less than one (1) business day’s prior notice, for the purpose of showing the same to prospective purchasers, lenders, or during the last 12 months of the Lease Term, tenants, and making such alterations, repairs, improvements or additions to the Premises as Lessor may deem necessary. All such activities shall be without abatement of rent or liability to Lessee. Lessor may at any time place on the Premises any ordinary “For Sale” signs and Lessor may during the last 6 months of the term hereof place on the Premises any ordinary “For Lease” signs. Lessee may at any time place on the Premises any ordinary “For Sublease” sign.
33. Auctions. Lessee shall not conduct, nor permit to be conducted, any auction upon the Premises without Lessor’s prior written consent. Lessor shall not be obligated to exercise any standard of reasonableness in determining whether to permit an auction.
34. Signs. Except for ordinary “For Sublease” signs which may be placed only on the Premises, Lessee shall not place any sign upon the Project without Lessor’s prior written consent. All signs must comply with all Applicable Requirements and Lessor’s Sign Criteria, a copy of which is attached hereto as Exhibit “D”. Lessee shall have exclusive right to all signage on the Building’s exterior.
35. Termination; Merger. Unless specifically stated otherwise in writing by Lessor, the voluntary or other surrender of this Lease by Lessee, the mutual termination or cancellation hereof, or a termination hereof by Lessor for Breach by Lessee, shall automatically terminate any sublease or lesser estate in the Premises; provided, however, that Lessor may elect to continue any one or all existing subtenancies. Lessor’s failure within 10 days following any such event to elect to the contrary by written notice to the holder of any such lesser interest, shall constitute Lessor’s election to have such event constitute the termination of such interest.
36. Consents. Except as otherwise provided herein, wherever in this Lease the consent of a Party is required to an act by or for the other Party, such consent shall not be unreasonably withheld or delayed. Lessor’s actual reasonable out-of-pocket costs and expenses (including but not limited to architects’, attorneys’, engineers’ and other consultants’ fees) incurred in the consideration of, or response to, a request by Lessee for any Lessor consent, including but not limited to consents to an assignment, a subletting or the presence or use of a Hazardous Substance, shall be paid by Lessee upon receipt of an invoice and supporting documentation therefor. Lessor’s consent to any act, assignment or subletting shall not constitute an acknowledgment that no Default or Breach by Lessee of this Lease exists, nor shall such consent be deemed a waiver of any then existing Default or Breach, except as may be otherwise specifically stated in writing by Lessor at the time of such consent. The failure to specify herein any particular condition to Lessors consent shall not preclude the imposition by Lessor at the time of consent of such further or other conditions as are then reasonable with reference to the particular matter for which consent is being given. In the event that either Party disagrees with any determination made by the other hereunder and reasonably requests the reasons for such determination for such determination, the determining party shall furnish its reasons in writing and in reasonable detail within 10 business days following such request.
38. Quiet Possession. Subject to payment by Lessee of the Rent and performance of all of the covenants, conditions and provisions on Lessee’s part to be observed and performed under this Lease, Lessee shall have quiet possession and quiet enjoyment of the Premises during the term hereof.
39. Options. See paragraph 60 of the Lease Addendum.
|
| | |
_____ _____ INITIALS | Page 23 of 26 | _____ _____ INITIALS |
©1999 – AIR COMMERCIAL REAL ESTATE ASSOCIATION
40. Security Measures. Lessee hereby acknowledges that the Rent payable to Lessor hereunder does not include the cost of guard service or other security measures, and that Lessor shall have no obligation whatsoever to provide same. Lessee assumes all responsibility for the protection of the Premises, Lessee, its agents and invitees and their property from the acts of third parties.
41. Reservations. Lessor reserves the right: (i) to grant, without the consent or joinder of Lessee, such easements, rights and dedications that Lessor deems necessary, (ii) to cause the recordation of parcel maps and restrictions, and (iii) to create and/or install new utility raceways, so long as such easements, rights, dedications, maps, restrictions, and utility raceways do not unreasonably interfere with the use of the Premises by Lessee. Lessee agrees to sign any documents reasonably requested by Lessor to effectuate such rights.
42. Performance Under Protest. If at any time a dispute shall arise as to any amount or sum of money to be paid by one Party to the other under the provisions hereof, the Party against whom the obligation to pay the money is asserted shall have the right to make payment “under protest” and such payment shall not be regarded as a voluntary payment and there shall survive the right on the part of said Party to institute suit for recovery of such sum. If it shall be adjudged that there was no legal obligation on the part of said Party to pay such sum or any part thereof, said Party shall be entitled to recover such sum or so much thereof as it was not legally required to pay.
43. Authority. If either Party hereto is a corporation, trust, limited liability company, partnership, or similar entity, such entity represents and warrants that the individual executing this Lease on its behalf is duly authorized to execute and deliver this Lease on its behalf. Each party shall, within 30 days after request, deliver to the other party satisfactory evidence of such authority.
44. Conflict. Any conflict between the printed provisions of this Lease and the typewritten or handwritten provisions shall be controlled by the typewritten or handwritten provisions.
45. Offer. Preparation of this Lease by either party or their agent and submission of same to the other Party shall not be deemed an offer to lease to the other Party. This Lease is not intended to be binding until executed and delivered by all Parties hereto.
46. Amendments. This Lease may be modified only in writing, signed by the Parties in interest at the time of the modification. As long as they do not materially change Lessee’s obligations hereunder, Lessee agrees to make such reasonable non-monetary modifications to this Lease as may be reasonably required by a Lender in connection with the obtaining of normal financing or refinancing of the Premises.
47. Multiple Parties. If more than one person or entity is named herein as either Lessor or Lessee, such multiple Parties shall have joint and several responsibility to comply with the terms of this Lease.
48. Waiver of Jury Trial. The Parties hereby waive their respective rights to trial by jury in any action or proceeding involving the Property or arising out of this Agreement.
49. Mediation and Arbitration of Disputes. An Addendum requiring the Mediation and/or the Arbitration of all disputes between the Parties and/or Brokers arising out of this Lease ¨ is þ is not attached to this Lease.
50. Accessibility: Americans with Disabilities Act.
(a) The Premises: (X) have not undergone an inspection by a Certified Access Specialist (CASp). ( ) have undergone an inspection by a Certified Access Specialist (CASp) and it was determined that the Premises
|
| | |
_____ _____ INITIALS | Page 24 of 26 | _____ _____ INITIALS |
©1999 – AIR COMMERCIAL REAL ESTATE ASSOCIATION
met all applicable construction-related accessibility standards pursuant to California Civil Code §55.51 et seq. ( ) have undergone an inspection by a Certified Access Specialist (CASp) and it was determined that the Premises did not meet all applicable construction-related accessibility standards pursuant to California Civil Code §55.51 et seq.
(b) Since compliance with the Americans with Disabilities Act (ADA) is dependent upon Lessee’s specific and unique use of the Premises, except as set forth in Paragraph 2.3, Lessor makes no warranty or representation as to whether or not the Premises comply with ADA or any similar legislation. In the event that Lessee’s specific and unique use of the Premises requires modifications or addition to the Premises in order to be in ADA compliance, Lessee agrees to make any such necessary modifications and/or additions at Lessee’s expense.
LESSOR AND LESSEE HAVE CAREFULLY READ AND REVIEWED THIS LEASE AND EACH TERM AND PROVISION CONTAINED HEREIN, AND BY THE EXECUTION OF THIS LEASE SHOW THEIR INFORMED AND VOLUNTARY CONSENT THERETO. THE PARTIES HEREBY AGREE THAT, AT THE TIME THIS LEASE IS EXECUTED, THE TERMS OF THIS LEASE ARE COMMERCIALLY REASONABLE AND EFFECTUATE THE INTENT AND PURPOSE OF LESSOR AND LESSEE WITH RESPECT TO THE PREMISES.
ATTENTION: NO REPRESENTATION OR RECOMMENDATION IS MADE BY THE AIR COMMERCIAL REAL ESTATE ASSOCIATION OR BY ANY BROKER AS TO THE LEGAL SUFFICIENCY, LEGAL EFFECT, OR TAX CONSEQUENCES OF THIS LEASE OR THE TRANSACTION TO WHICH IT RELATES. THE PARTIES ARE URGED TO:
1. SEEK ADVICE OF COUNSEL AS TO THE LEGAL AND TAX CONSEQUENCES OF THIS LEASE.
2. RETAIN APPROPRIATE CONSULTANTS TO REVIEW AND INVESTIGATE THE CONDITION OF THE PREMISES. SAID INVESTIGATION SHOULD INCLUDE BUT NOT BE LIMITED TO: THE POSSIBLE PRESENCE OF HAZARDOUS SUBSTANCES, THE ZONING OF THE PREMISES, THE STRUCTURAL INTEGRITY, THE CONDITION OF THE ROOF AND OPERATING SYSTEMS, COMPLIANCE WITH THE AMERICANS WITH DISABILITIES ACT AND THE SUITABILITY OF THE PREMISES FOR LESSEE’S INTENDED USE.
WARNING: IF THE PREMISES ARE LOCATED IN A STATE OTHER THAN CALIFORNIA, CERTAIN PROVISIONS OF THE LEASE MAY NEED TO BE REVISED TO COMPLY WITH THE LAWS OF THE STATE IN WHICH THE PREMISES ARE LOCATED.
The parties hereto have executed this Lease at the place and on the dates specified above their respective signatures.
| |
Executed at: Newport Beach, CA | Executed at: 16275 Laguna Canyon Rd, #16, |
| |
On: 11-11-15 | Irvine, CA 92618 |
On: November 10, 2015
| |
THE NORTHWESTERN MUTUAL LIFE | MAXLINEAR, INC., a Delaware corporation |
INSURANCE COMPANY, a Wisconsin
Corporation
| |
By: Northwestern Mutual Investment Management | By: /s/ Adam C. Spice |
|
| | |
_____ _____ INITIALS | Page 25 of 26 | _____ _____ INITIALS |
©1999 – AIR COMMERCIAL REAL ESTATE ASSOCIATION
| |
Company, LLC, a Delaware limited liability | Name Printed: Adam C Spice |
| |
company, its wholly-owned affiliate | Title: CFO |
| |
Name Printed: Don Morton | Name Printed: |
| |
Title: Director – Asset Mgmt. | Title: |
Address:
| |
By: | Telephone: 760-692-0711 |
| |
Name Printed: | Facsimile: 760-444-8596 |
| |
Title: | Federal ID No. 14-1896129 |
Address:
Telephone: (___)
Facsimile: (___)
Federal ID No.
| |
Telephone: (___) | Telephone: (___) |
| |
Facsimile: (___) | Facsimile: (___) |
| |
Federal ID No. | Federal ID No. |
These forms are often modified to meet changing requirements of law and needs of the industry. Always write or call to make sure you are utilizing the most current form: AIR Commercial Real Estate Association, 700 South Flower Street, Suite 600, Los Angeles, CA 90017. (213) 687-8777.
©Copyright 1999 By AIR Commercial Real Estate Association.
All rights reserved.
No part of these works may be reproduced in any form without permission in writing.
|
| | |
_____ _____ INITIALS | Page 26 of 26 | _____ _____ INITIALS |
©1999 – AIR COMMERCIAL REAL ESTATE ASSOCIATION
LEASE ADDENDUM
(NET LEASE - MULTI-TENANT)
This Addendum to the Lease dated November 4, 2015, made by and between The Northwestern Mutual Life Insurance Company (“Lessor”) and MaxLinear, Inc. (“Lessee”) for certain premises located at 50 Parker, Irvine, CA (the “Premises”) (this “Addendum”), is hereby incorporated into the Lease. Capitalized terms used but not defined herein shall have the meaning ascribed to such terms in the Lease. The provisions of the Lease are modified as set forth below. In the event of any inconsistency between this Addendum and the Lease, the terms of this Addendum shall prevail.
50. PREMISES SIZE. Lessor and Lessee acknowledge that they have stipulated to the area of the Premises and that the actual size of such area is not subject to dispute. Lessee agrees that Lessor shall have no liability in the event that the size of the Premises is other than the amount specified and Lessee shall have no right to terminate this Lease should such discrepancy be discovered. Lessor agrees not to charge Lessee additional Operating Expenses or Rent due to a re-measurement of the Premises.
51. NO PAYMENT TO LESSEE IF LESSEE IN DEFAULT. In the event of any Breach by Lessee under any provision of this Lease, then notwithstanding any provision of this Lease to the contrary which requires Lessor to make any payment to Lessee, Lessor shall not be obligated to make such payment to Lessee, but may instead apply the amount of such payment against Rent or Additional Rent past due; and against any costs incurred by Lessor to cure any default by Lessee.
52. USE OF THE PREMISES.
52.1 Compliance. Lessor shall deliver the Premises to Lessee on the Commencement Date in compliance with all municipal, county and state laws, ordinances and regulations governing and regulating the use of the Premises. Lessee acknowledges its lease of the Premises is subject to all applicable zoning, municipal, county and state laws, ordinances and regulations governing and regulating the use of the Premises, and any covenants or restrictions of record, and accepts this Lease subject thereto and to all matters disclosed thereby and by any exhibits attached hereto. Lessee shall not use the Premises which will in any way conflict with any law, statute, zoning restriction, ordinance or governmental law, rule, regulation or requirement of any duly constituted public authority having jurisdiction over the Premises now in force or which may hereafter be in force, or any covenants, conditions, easements or restrictions now or hereafter encumbering the Premises. Lessee shall not commit any public or private nuisance or any other act or thing that might or would disturb the quiet enjoyment or any other Lessee of Lessor or any occupant of nearby property. Lessee shall place no loads upon the floors, walls or ceilings in excess of the maximum designed load specified by Lessor or which may damage the building or outside areas; nor place any harmful liquids in the drainage systems; nor dump or store waste materials, refuse or other materials or allow such to remain outside the building, except in the enclosed trash areas provided.
52.2 Compliance With Governmental Regulations. Notwithstanding anything to the contrary set forth in this Lease, if and to the extent modifications or improvements to the structure of the Premises or any portion thereof or to any fire prevention or other emergency system are deemed necessary by any governmental authority or Applicable Requirements, Lessor shall make such modifications and improvements and Lessee shall cooperate with Lessor in the making of any such modifications or improvements. Notwithstanding the foregoing sentence, Lessor shall not be responsible for the costs and expenses of such modifications or improvements in the event that such improvements or modifications are required after the Commencement Date as the result of Lessee’s specific and unique use of the Premises or conduct including, but
|
| | |
_____ Lessee Initials | | _____ Lessor Initials |
not limited to, Lessee’s alterations, improvements or modifications of the Premises. In the event that any alterations, modifications or improvements undertaken by either party pursuant to this Section result in any interruption of the business of Lessee, Lessor shall have no liability to Lessee for such interruption and Lessee shall be limited to such business interruption insurance coverage, if any, as it may elect to carry.
52.3 Lessee ADA Obligations. Lessor shall deliver the Premises to Lessee on the Commencement Date in compliance with the requirements of Title III of the Americans with Disabilities Act of 1990 (42 U.S.C. 12181, et seq., the Provisions Governing Public Accommodations and Services Operated by Private Entities) (hereinafter collectively referred to as the “ADA”). At all times during the term of this Lease following the Commencement Date, Subject to the provisions of Paragraph 2.3 of this Lease, Lessee, at Lessee’s sole cost and expense, shall cause the Premises, and all alterations and improvements in the Premises, and Lessee’s use and occupancy of the Premises, and Lessee’s performance of its obligations under this Lease, to comply with the ADA, and all regulations promulgated thereunder, and all amendments, revisions or modifications thereto now or hereafter adopted or in effect in connection therewith and to take such actions and make such alterations and improvements as are necessary for such compliance; provided, however, that Lessee shall not make any such alterations or improvements except upon Lessor’s prior written consent pursuant to the terms and conditions of this Lease. If Lessee fails to diligently take such actions or make such alterations or improvements as are necessary for such compliance, Lessor may, but shall not be obligated to, take such actions and make such alterations and improvements and may recover all of the costs and expenses of such actions, alterations and improvements from Lessee as additional rent. No act or omission of Lessor, including any approval, consent or acceptance by Lessor or Lessor’s agents, employees or other representatives, shall be deemed an agreement, acknowledgment, warranty or other representation by Lessor that Lessee has complied with the ADA or that any action, alteration or improvement by Lessee complies or will comply with the ADA or constitutes a waiver by Lessor of Lessee’s obligations to comply with the ADA under this Lease or otherwise. Notwithstanding anything to the contrary set forth herein, Lessor shall be responsible for all compliance with law requirements, including compliance with the ADA, relating to the exterior of the Building and Common Areas, and the construction of the Base Building Improvements and the Lessee Improvements. Notwithstanding anything to the contrary herein, any upgrades to the Building or the exterior areas required to bring the Premises into compliance with building codes, including the ADA requirements, that are triggered by the Base Building Improvements and/or were not in compliance with law prior to the Commencement Date shall be performed at Lessor’s sole cost and expense, and shall not be funded or paid for out of the Allowance. From and after completion of the Base Building Improvements and the Lessee Improvements, Lessee shall be responsible for compliance with law requirements due to Lessee’s particular use of the Premises, including compliance with the ADA, arising from all future improvements, Utility Installations, and Alterations made by Lessee and from any change in use by Lessee.
52.4 Forklift Restrictions. Asphaltic cement cannot withstand noninflatable forklift tires. In the event the slab is damaged by Lessee’s use of a forklift with noninflatable tires, it shall be Lessee’s obligation to repair the damaged asphaltic cement at Lessee’s sole expense.
52.5 Battery Chargers. Battery charging units not equipped with an automatic shut-off feature can cause substantial and expensive damage to warehouse floors resulting from battery acid spills from over-charged batteries. Lessee acknowledges and agrees that Lessee shall be solely and fully liable for the expense of repair or replacement of floors within the Premises, including concrete slab floors, required as a result of damage caused by battery charging units installed by or used by Lessee. In order to reduce the risk that any such damage shall occur, all battery charging units operated or maintained by Lessee at the Premises shall be equipped with an original equipment automatic shut-off feature, or shall have an after-market automatic shut-off device added thereto.
|
| | |
_____ Lessee Initials | 2 | _____ Lessor Initials |
52.6 Department of Treasury Restrictions. Lessee warrants and represents to Lessor that Lessee and all persons and entities (i) owning (directly or indirectly) an ownership interest in Lessee, (ii) whom or which are an assignee of Lessee’s interest in this Lease; (iii) whom or which are a guarantor of Lessee’s obligations under this Lease; or (iv) executing any separate indemnity agreement in favor of Lessee in connection with this Lease or with the leasing of the Premises: (a) is not, and shall not become, a person or entity with whom Lessor is restricted from doing business with under regulations of the Office of Foreign Asset Control (“OFAC”) of the Department of Treasury (including, but not limited to, those named on OFAC’s Specifically Designated and Blocked Persons list) or under any statute, executive order (including, but not limited to, the September 24, 2001, Executive Order Blocking Property and Prohibiting Transactions With Persons Who Commit, Threaten to Commit, or Support Terrorism), or other governmental action, (b) is not knowingly engaged in, and shall not knowingly engage in any dealings or transaction or be otherwise associated with such persons or entities described in clause (a) above; and (c), is not, and shall not become, a person or entity whose activities are regulated by the International Money Laundering Abatement and Financial Anti-Terrorism Act of 2001 or the regulations or orders thereunder.
52.7 Mold and Mildew Control. Lessee shall not use the Premises in any manner that will cause mold, mildew or similar conditions to arise at the Premises. Lessee shall keep all ice and coffee machines that Lessee places in the Premises in good condition and repair and immediately remove any water discharged or spilled from such ice or coffee machines. Lessee shall regularly monitor the Premises for the presence of mold or mildew or any conditions that can reasonably be expected to contribute to the growth of mold or mildew and shall immediately report to Lessor (i) any evidence of a water leak or excessive moisture in the Premises, and (ii) any evidence of mold or mildew in the Premises. Lessee shall indemnify and hold Lessor harmless from any cost or expense incurred by Lessor in order to remove or eradicate any mold, mildew or similar condition at the Premises caused by Lessee’s Breach of its obligations under this Paragraph 52.7.
52.8 Lender’s Request for Lessor’s Consent. If at any time during the Lease Term, or any extension thereof, Lessee shall make and enter into any secured financing or other transaction in which a lender to Lessee shall request the consent of the Lessor to the granting of a security interest by Lessee in any assets of Lessee that may be located at the Premises, together with Lessor’s consent to permit such lender access to the Premises for the purpose of assembling and/or selling any such collateral, Lessor will enter into a Landlord’s Waiver and Consent in the form attached hereto as Exhibit “E” (“the “Approved Consent Form”). In the event Lessee nonetheless requests Lessor to modify the Approved Consent Form or enter into a form provided by Lessee’s Lender, such request shall be in writing and shall be accompanied by the fee referred to below. As a condition to Lessor’s requirement to consider any request from Lessee for such consent, Lessee shall first pay to Lessor, as Additional Rent, the sum of $2,500.00 as a fixed fee to compensate Lessor for expenses to be incurred by Lessor in reviewing such request and preparing such Landlord’s Waiver and Consent (whether or not Lessor and Lessee actually execute any such instrument), the parties hereto agreeing that such sum is a reasonable approximation of the cost of Northwestern’s expenses relating thereto, the exact cost thereof being impractical to determine. Lessee acknowledges and agrees that Lessor is under no obligation whatsoever to modify such Approved Consent Form or enter into any such agreement on a form supplied by any lender to Lessee.
|
| | |
_____ Lessee Initials | 3 | _____ Lessor Initials |
(11
52.9 Intentionally Deleted.
52.10 Use of the HVAC. Lessee shall be entitled to operate the building-standard HVAC equipment serving the Premises and any specialized air conditioning / air handling equipment or systems installed in the Premises as it relates to Tenant’s electronics laboratory and server room at no additional after-hours charge to Lessee, twenty-four (24) hours per day, seven (7) days per week. All costs of electricity to operate the HVAC shall be included in the utilities bill that Lessee is responsible to separately contract for under the Lease.
53. ASSIGNMENT AND SUBLETTING.
53.1 Consent Required. Lessee shall not, without the prior written consent of Lessor, assign, transfer, convey, mortgage, pledge, hypothecate or encumber this Lease or any interest herein, sublease the Premises or any part thereof or any right or privilege appurtenant thereto, or permit the use or occupancy of the Premises by any other person other than Lessee and Lessee’s representatives and invitees or Permitted Transferees. Each of the foregoing acts, transactions and events are sometimes referred to herein as a “Transfer.” The person in whose favor such Transfer is made is sometimes referred to herein as a “Transferee.” If Lessee shall complete any Transfer without such consent the Transfer shall be void and shall constitute a material default and breach of this Lease by Lessee. This Lease or any interest herein shall not be assignable or otherwise transferable by operation of law, as to the interest of Lessee, without the prior written consent of Lessor and any such assignment or other Transfer shall be void and shall be a material default and breach of this Lease by Lessee.
53.2 Request for Transfer. If at any time during the Lease Term, or any extension thereof, Lessee desires the consent of the Lessor to a Transfer of this Lease, Lessee’s request to Lessor for such consent shall be in writing and shall include the information and documents described below, hereinafter referred to as “Lessee’s Request for Transfer”. Lessee agrees to pay Lessor, as Additional Rent, all expenses reasonably incurred by Lessor in reviewing any information in order to determine whether consent to a requested Transfer should be given (whether or not such consent is given) in an amount not to exceed $500.00, including, but not limited to, costs and expenses incurred for credit investigations, reasonable attorneys’ fees and the costs of preparation of any necessary documents. The information and documents to be included with Lessee’s Request for Transfer are as follows:
(a) A statement that Lessee requests consent to the proposed Transfer and the type of Transfer proposed;
(b) The name of the proposed Transferee;
(c) The nature of the use or business to be carried on in the Premises by the proposed Transferee;
(d) A description of the area of the Premises to be covered by the Transfer;
|
| | |
_____ Lessee Initials | 4 | _____ Lessor Initials |
(e) The terms and provisions of the proposed Transfer including a copy of the proposed document of Transfer and any other agreements to be entered into concurrently therewith;
(f) Such financial information as Lessor may reasonably request concerning the proposed Transferee; and
(g) To the extent that the proposed Transfer is other than an assignment or sublease, the information described in (a) through (f) above shall be modified to correspond to the type of Transfer for which consent is requested.
53.3 Lessor’s Option. Within twenty (20) calendar days after Lessor’s receipt of Lessee’s Request for Transfer, Lessor may, in its reasonable discretion, exercise either of the options described below by providing written notice to Lessee of Lessor’s election. If for any reason, Lessor fails to give Lessee written notice of Lessor’s election as authorized by this subparagraph 53.3 within the said twenty (20) calendar day period, Lessor shall be deemed to have elected to consent to the Transfer. The options available to Lessor are as follows:
(a) Consent to the requested Transfer (subject in all circumstances to the provisions of subparagraph 53.5, whether or not so expressly stated in the Notice to Lessee setting forth such consent); or
(b) Withhold consent to the requested Transfer. If Lessor withholds consent, Lessor shall inform Lessee of the reasons therefor.
53.4 Lessor Entitled to Withhold Consent to Transfer in its Reasonable Discretion. Lessor shall not unreasonably withhold its consent to any Transfer.
53.5 Consent Given. The provisions of this subsections (a) and (c) of this Section 53.5 shall not apply to a Permitted Transferee. Should Lessor consent to a Transfer, Lessor may impose upon such Transfer all such reasonable conditions as Lessor may desire, i.e., the following conditions:
(a) Lessee completing the negotiations for a valid and bona fide Transfer to the Transferee identified in Lessee’s Request for Transfer within sixty (60) days after the date of Lessor’s consent and such Transfer being in accordance with all the terms and provisions contained in Lessee’s Request for Transfer. If for any reason this condition fails, any consent given by Lessor shall be deemed of no force and effect and Lessee shall be required to again comply with all conditions of this Paragraph 53 as if no consent had been given.
(b) Lessee delivering to Lessor, prior to the earlier of the date the Transfer occurs or the date the Transferee takes possession of the Premises or any part thereof, executed originals of the document of transfer and any other agreement entered into in connection with such Transfer. If the Transfer is by way of assignment, the form of assignment shall expressly state that the Transferee assumes all of Lessee’s obligations under this Lease. If the Transfer is by way of sublease, the sublease shall expressly state that: It is subject to the provisions of this Lease; it does not extend beyond the Termination Date; the sublessee’s right to transfer its interest in the sublease is subject to Lessor’s rights under this Paragraph 53.
(c) Lessee paying to Lessor as Additional Rent under this Lease, without affecting or reducing any other obligations of Lessee under this Lease, fifty percent (50%) of any sums of money or other economic consideration received by Lessee as result of such Transfer in excess of Lessee’s Base Rent
|
| | |
_____ Lessee Initials | 5 | _____ Lessor Initials |
and Additional Rent (but not any loan proceeds if the Transfer is a bona fide loan), including, but not limited to: Bonuses, key money or the like; any payment made to Lessee by the Transferee, however denominated, which is attributed to either the amortization of the cost of any improvements made to the Premises which were paid by Lessee and are to be used by the Transferee; and, if the Transfer is a subletting, all rentals, whether so denominated or not under the sublease. All sums due Lessor pursuant to this subparagraph 53.5(c) shall, provided the Transfer is a subletting, be prorated if the sublease covers less than all of the Premises Area according to the ratio that the Premises area transferred bears to the total Premises area. Notwithstanding the foregoing, Lessee shall be entitled to deduct from such amounts payable to Lessor pursuant to this Section such reasonable costs and expenses as Lessee actually incurs in obtaining a Transferee, i.e., commissions paid to brokers in connection with such transfer, advertising costs paid by Lessee in connection with such Transfer, the cost of any improvements made by Lessee, at its cost, for the Transferee, concessions, reasonable legal fees and similar items. Lessee shall be obligated, however, to provide evidence to Lessor substantiating such costs and expenses to Lessor’s reasonable satisfaction.
53.6 Transfer to a Related Party. The provisions of this Section 53 to the contrary notwithstanding, Lessee shall have the right, without Lessor’s consent, to assign or otherwise transfer this Lease, or to sublet the Premises, (i) to any parent or subsidiary of Lessee, and (ii) to any successor to Lessee by way of merger, consolidation, sale of substantially all of Lessee’s assets or the like (each, a “Permitted Transferee”); provided that Lessor is notified in writing of the assignment prior to the effective date thereof, unless notice is restricted due to the confidential nature of the underlying transaction, in which case such notice shall be given promptly after the transaction and the assignee (if Lessee is not the surviving entity) assumes in writing for the direct benefit of Lessor all of Lessee’s obligations under this Lease arising on and after the effective date of the assignment (except in the case of a sublease, the provisions dealing with the amount of rent payable). A sale, transfer or issuance of Lessee’s capital stock shall not be deemed an assignment, subletting or any other transfer of the Lease or the Premises.
53.7 No Release of Liability. No Transfer shall release Lessee of its obligations to pay the Rent and to perform all the other obligations to be performed by Lessee under this Lease. The acceptance of Rent by Lessor from any person shall not be deemed to be the waiver by Lessor of any provision of this Lease or to be a consent to any assignment or subletting. A consent to one Transfer shall not be deemed to be a consent to any subsequent Transfer. In the event of default by a Transferee in the performance of any of the terms of this Lease, Lessor may proceed directly against Lessee without the necessity of exhausting its remedies against the Transferee. If Lessee enters into a sublease, with or without Lessor’s consent, Lessee shall be deemed to have immediately and irrevocably assigned to Lessor, as security for Lessee’s obligations under this Lease, all subrent or other sums due to Lessee under the sublease, and Lessor, as assignee and as attorney-in-fact for Lessee, or a receiver for Lessee appointed on Lessor’s application, may collect such subrent or other sums due and apply it towards Lessee’s obligations under this Lease, except, that, until and during the continuance the occurrence of a Breach by Lessee, Lessee shall have the right to collect such subrent or other sums due. Lessor may, as a condition to Lessor’s consent to any proposed sublease, require Lessee and the proposed sublessee to enter into an agreement with Lessor whereby the proposed sublessee agrees: To pay subrent or all other sums due directly to Lessor upon notice from Lessor of Lessee’s default; and, notwithstanding Lessor’s receipt of subrent or other sums due, Lessor shall not be liable to the proposed sublessee for anything under the sublease or under this Lease and Lessor may pursue any remedy available to it under this Lease.

|
| | |
_____ Lessee Initials | 6 | _____ Lessor Initials |
54. NON-DISTURBANCE AND ATTORNMENT; LESSEE STATEMENT. Lessor represents that as of the date of this Lease, there is no loan encumbering the Building. [At such time during the Lease Term as Lessor shall elect to encumber the Premises with a deed of trust, mortgage, or other form of security agreement, Lessor shall cause such trust deed beneficiary or mortgagee to make and enter into a form of Non-Disturbance and Attornment Agreement with Lessee in a commercially reasonable form reasonable acceptable to Lessee and such beneficiary or mortgagee and the subordination of the Lease to such loan is conditioned upon Lessee’s receipt of such an agreement. In addition, Lessee shall within ten (10) business days following written request by Lessor execute and deliver to Lessor any documents reasonably requested by Lessor, including estoppel certificates, in a commercially reasonable form prepared by Lessor.
55. LESSEE’S REMEDIES. The obligations of Lessor do not constitute the personal obligation of the individual partners, trustees, directors, officers or shareholders of Lessor or its constituent partners. If Lessor shall fail to perform any covenant, term or condition of this Lease upon Lessor’s part to be performed, Lessee shall be required to deliver to Lessor written notice of the same. If, as a consequence of such default, Lessee shall recover a money judgment against Lessor, such judgment shall be satisfied only out of the proceeds of sale received upon execution of such judgment and levied thereon against the right, title and interest of Lessor in the Premises and out of Rent or other income from such property receivable by Lessor or out of consideration received by Lessor from the sale or other disposition of all or any part of Lessor’s right, title or interest in the project of which the Premises are a part, and no action for any deficiency may be sought or obtained by Lessee.
56. HAZARDOUS SUBSTANCES.
(a) For purposes of this Lease, the term “Hazardous Substances” includes (i) any “hazardous material” as defined in Section 25501(o) of the California Health and Safety Code, (ii) hydrocarbons, polychlorinated biphenyls or asbestos, and (iii) any toxic or hazardous materials, substances, wastes or materials as defined pursuant to any other present or future applicable state, federal or local law or regulation.
(b) Lessee shall not cause or permit its agents, employees, invitees, licensees, or contractors to cause any Hazardous Substances to be brought upon, stored, used, generated, released or disposed of on, under, from or about the Premises (including without limitation the soil and groundwater thereunder) without the prior written consent of Lessor, which consent may be given or withheld in Lessor’s reasonable discretion, taking into account the potential risk to person and property and the potentially substantial cost of remediation. Notwithstanding the foregoing, Lessee shall have the right, without obtaining prior written consent of Lessor, to utilize within the Premises a reasonable quantity of standard office products that may contain Hazardous Substances (such as photocopy toner, “White Out”, janitorial products, and the like), provided however, that (i) Lessee shall maintain such products in their original retail packaging, shall follow all instructions on such packaging with respect to the storage, use and disposal of such products, and shall otherwise comply with all applicable laws with respect to such products, and (ii) all of the other terms and provisions of this Paragraph 56 shall apply with respect to Lessee’s storage, use and disposal of all such products. Lessor may, in its reasonable discretion, place such conditions as Lessor deems appropriate with respect to Lessee’s use of any such Hazardous Substances, and may further require that Lessee demonstrate that any such Hazardous Substances are necessary or useful to Lessee’s business and will be generated, stored, used and disposed of in a manner that complies with all Applicable Requirements and regulations pertaining thereto and with good business practices. Lessee understands that Lessor may utilize an environmental consultant to assist in determining conditions of approval in connection with the storage, generation, release, disposal or use of Hazardous Substances by Lessee on or about the Premises, and/or to conduct periodic inspections of the storage, generation, use, release and/or disposal of such Hazardous Substances by Lessee on and from the Premises, and Lessee agrees that any costs
|
| | |
_____ Lessee Initials | 7 | _____ Lessor Initials |
incurred by Lessor in connection therewith shall be reimbursed by Lessee to Lessor as additional rent hereunder upon demand.
(c) Prior to the execution of this Lease, Lessee shall complete, execute and deliver to Lessor an Environmental Questionnaire and Disclosure Statement (the “Environmental Questionnaire”) in the form of Exhibit “F” attached hereto. The completed Environmental Questionnaire shall disclose all Hazardous Substances Lessee intends to bring upon, store, use, generate, release or dispose of on, under, from or about the Premises, and shall be deemed incorporated into this Lease for all purposes, and Lessor shall be entitled to rely fully on the information contained therein. In the event at any time during the Lease Term Lessee intends to bring upon, store, use, generate, release or dispose of on, under, from or about the Premises any Hazardous Materials not previously disclosed on a Lessor approved Environmental Questionnaire, prior to the introduction thereof to the Premises Lessee shall deliver to Lessor for Lessor’s prior approval an updated Environmental Questionnaire disclosing each such additional Hazardous Material. Only upon Lessor’s written approval of said updated Environmental Questionnaire may said additional Hazardous Materials be present at the Premises; provided, however, once the presence and quantity of specific Hazardous Materials has been listed by Lessee on an Environmental Questionnaire required by hereby and has been approved by Lessor, Lessor shall not unreasonably withhold its approval of substitutions of any such approved Hazardous Materials with other Hazardous Materials serving the same purpose of that for which it has been substituted. In addition, to the extent Lessee is permitted to utilize Hazardous Substances upon the Premises, Lessee shall promptly provide Lessor with complete and legible copies of all the following environmental documents relating thereto: reports filed pursuant to any self-reporting requirements; permit applications, permits, monitoring reports, emergency response or action plans, workplace exposure and community exposure warnings or notices and
all other reports, disclosures, plans or documents (even those which may be characterized as confidential, subject to Lessor entering into a reasonable confidentiality agreement with respect thereto) relating to water discharges, air pollution, waste generation or disposal, and underground storage tanks for Hazardous Substances; orders, reports, notices, listings and correspondence (even those which may be considered confidential) of or concerning the release, investigation of, compliance, cleanup, remedial and corrective actions, and abatement of Hazardous Substances; and all complaints, pleadings and other legal documents filed by or against Lessee related to Lessee’s use, handling, storage, release and/or disposal of Hazardous Substances. (d) Lessor and its agents shall have the right, but not the obligation, to inspect, sample and/or monitor the Premises and/or the soil or groundwater thereunder at any time to determine whether Lessee is complying with the terms of this Paragraph 56, and in connection therewith Lessee shall provide Lessor with full access to all facilities, records and personnel related thereto. Within the 90-day period prior to the expiration of this Lease, or within the 90-day period following the early termination of this Lease as a result of Lessee’s Breach thereof, Lessor, at Lessor’s cost and expense, shall cause its environmental consultants to undertake a comprehensive environmental audit of the Premises to determine whether Hazardous Substances are located at the Premises for which Lessee is responsible under the terms of this Lease; provided, however, if Hazardous Substances for which Lessee is responsible under this Lease are found to be located at the Premises, Lessee shall reimburse Lessor for the cost of said audit. If Lessee, either during the Lease Term or upon the expiration or earlier termination thereof, is not in compliance with any of the provisions of this Paragraph 56, or in the event of a release of any Hazardous Material on, under or about the Premises caused or permitted by Lessee, its agents, employees, contractors, licensees or invitees, Lessor and its agents shall have the right at any
|
| | |
_____ Lessee Initials | 8 | _____ Lessor Initials |
time, but not the obligation, without limitation upon any of Lessor’s other rights and remedies under this Lease, to immediately enter upon the Premises without notice and to discharge Lessee’s obligations under this Paragraph 56 at Lessee’s expense, including without limitation the taking of emergency or long-term remedial action and notwithstanding that Lessee may have already commenced remediation and/or reconstruction activities. Lessor and its agents shall endeavor to minimize interference with Lessee’s business in connection therewith, but shall not be liable for any such interference. In addition, Lessor, at Lessee’s expense, shall have the right, but not the obligation, to join and participate in any legal proceedings or actions initiated in connection with any claims arising out of the storage, generation, use, release and/or disposal by Lessee or its agents, employees, contractors, licensees or invitees of Hazardous Substances on, under, from or about the Premises. In the event Lessor shall elect to perform Lessee’s obligations under this Paragraph 56 as permitted above, Lessee shall reimburse Lessor all costs and expenses incurred by Lessor within twenty (20) days of receipt from Lessor of an invoice therefor, accompanied by reasonable evidence of such costs and expenses. Lessor shall have the right to provide such invoices to Lessee monthly during the period of time that Lessor is in the process of performing such Lessee obligations hereunder in order to obtain reimbursement from Lessee of costs and expenses incurred by Lessor as of the date of each such invoice.
(e) If the presence of any Hazardous Substances on, under, from or about the Premises or the Project caused by Lessee or its agents, employees, contractors, licensees or invitees or permitted in the Premises by Lessee or its agents, employees, contractors, licensees or invitees (excluding as a result of the actions or omissions of Lessor or its agents, employees, contractors, licensees or invitees) results in (i) injury to any person, (ii) injury to or any
contamination of the Premises or the Project, or (iii) injury to or contamination of any real or personal property wherever situated, Lessee, at its expense, shall promptly commence and diligently complete all actions necessary to return the Premises and the Project and any other affected real or personal property owned by Lessor to the condition required by Applicable Requirements and to remedy or repair any such injury or contamination, including without limitation, any cleanup, remediation, removal, disposal, neutralization or other treatment of any such Hazardous Substances. Notwithstanding the foregoing, Lessee shall not, without Lessor’s prior written consent to the remediation and reconstruction activities to be undertaken by Lessee, which consent may be given or withheld in Lessor’s reasonable discretion, take any remedial action in response to the presence of any Hazardous Substances on, from, under or about the Premises or the Project or any other affected real or personal property owned by Lessor or enter into any similar agreement, consent, decree or other compromise with any governmental agency with respect to any Hazardous Substances claims; provided however, Lessor’s prior written consent shall not be necessary in the event that the presence of Hazardous Substances on, under or about the Premises or the Project or any other affected real or personal property owned by Lessor (i) imposes an immediate threat to the health, safety or welfare of any individual and (ii) is of such a nature that an immediate remedial response is necessary and it is not possible to obtain Lessor’s consent before taking such action. In the event that the permissible levels or concentrations of Hazardous Substances are subject to ambiguous regulatory standards or different regulatory standards of governmental agencies having jurisdiction (including without limitation the State of California under Proposition 65), Lessor shall have the right to identify the applicable standard for remediation to which Lessee must adhere in performing its obligations under this Lease. To the fullest extent permitted by law, Lessee shall indemnify, hold harmless, protect and defend (with attorneys acceptable to Lessor) Lessor and any successors to all or any portion of Lessor’s interest in the Premises and the Project and any other real or personal property owned by Lessor from and against any and all liabilities, losses, damages, diminution in value, judgments, fines, demands, claims,
|
| | |
_____ Lessee Initials | 9 | _____ Lessor Initials |
recoveries, deficiencies, costs and expenses (including without limitation attorneys’ fees, court costs and other professional expenses), whether foreseeable or unforeseeable, arising directly or indirectly out of the use, generation, storage, treatment, release, on-site or off-site disposal or transportation of Hazardous Substances on, into, from, under or about the Premises, the Building or the Project and any other real or personal property owned by Lessor caused by Lessee, its agents, employees, contractors, licensees or invitees or permitted in the Premises by Lessee or its agents, employees, contractors, licensees or invitees (excluding as a result of the actions or omissions of Lessor or its agents, employees, contractors, licensees or invitees). Such indemnity obligation shall specifically include, without limitation, the cost of any required or necessary repair, restoration, cleanup or detoxification of the Premises, the Building and the Project and any other real or personal property owned by Lessor, the preparation of any closure or other required plans, whether or not such action is required or necessary during the Term or after the expiration of this Lease and any loss of rental due to the inability to lease the Premises or any portion of the Building or Project as a result of such Hazardous Material or remediation thereof. If it is at any time discovered that Hazardous Substances have been released on, into, from, under or about the Premises during the Term, and that Lessee or its agents, employees, contractors, licensees or invitees may have caused the release of a Hazardous Material on, under, from or about the Premises, the Building or the Project or any other real or personal property owned by Lessor, Lessee shall, at Lessor’s request, immediately prepare and submit to Lessor a comprehensive plan, subject to Lessor’s approval, specifying the actions to be taken by Lessee to return the Premises, the Building or the Project or any other real or personal property owned by Lessor to the condition required by Applicable Requirements. Upon Lessor’s approval of such cleanup plan, Lessee shall, at its expense, and without limitation of any rights and remedies of Lessor under this Lease or at law or in equity, immediately implement such plan and proceed to cleanup such Hazardous Substances in accordance with all applicable laws and as required by such plan and this Lease. The provisions of this Paragraph 56 shall expressly survive the expiration or sooner termination of this Lease. Notwithstanding anything to the contrary herein, Lessee’s indemnity of Lessor shall not apply to any such release or presence of Hazardous Substances on the Premises caused or permitted by anyone other than Lessee and its agents, employees, contractors, licensees or invitees, and Lessee shall not be responsible for any such costs (whether as a Common Area Operating Expense or otherwise).
(f) Lessor hereby represents and warrants that it has no actual knowledge of the presence of any Hazardous Substances on, under, from or about the Premises as of the Commencement Date. To the fullest extent permitted by law, Lessor shall indemnify, hold harmless, protect and defend (with attorneys acceptable to Lessee) Lessee and any successors to all or any portion of Lessee’s interest in the Premises from and against any and all liabilities, losses, damages, judgments, fines, demands, claims, recoveries, deficiencies, costs and expenses (including without limitation attorneys’ fees, court costs and other professional expenses), whether foreseeable or unforeseeable, arising directly or indirectly out of the use, generation, storage, treatment, release, on-site or off-site disposal or transportation of Hazardous Substances on, into, from, under or about the Premises, the Building or the Project caused or permitted by Lessor, its agents, employees, contractors, licensees or invitees.
57. RENT ADJUSTMENT. Monthly Base Rent during the Lease Term shall be adjusted at the times and to the amounts set forth below:
|
| | |
_____ Lessee Initials | 10 | _____ Lessor Initials |
|
| | |
Month of Lease Term | | Monthly Base Rent |
1 - 12 | | $67,817.00 NNN |
13 - 24 | | $70,530.00 NNN |
25 - 36 | | $73,351.00 NNN |
37 - 48 | | $76,285.00 NNN |
49 - 60 | | $79,337.00 NNN |
60 - 72 | | $82,510.00 NNN |
73 - 74 | | $85,811.00 NNN |
Provided that Lessee is not at the time in material Breach under this Lease, Lessee shall be entitled to abatement of the Base Rent for the second (2nd) month and third (3rd) month of the Term; provided, however, Lessee shall continue to be obligated to pay Common Area Operating Expenses, insurance, and Real Property Taxes during said months.
58. NO RECORDATION. This Lease shall not be recorded.
59.
FORCE MAJEURE. If either Lessor or Lessee cannot perform any of its obligations (other than Lessee’s obligation to pay Rent hereunder) due to events beyond such party’s reasonable control, the time provided for performing such obligations shall be extended by a period of time equal to the duration of such events. Events beyond a party’s reasonable control include, but are not limited to, acts of God, war, civil commotion, labor disputes, strikes, fire, flood or other casualty, shortages of labor or material, government regulation or restriction and weather conditions. 60. EXTENSION OPTION. Lessee is given the option to extend the Term of this Lease on all of the terms and conditions of this Lease, except for rent and the construction Allowance, for one (1) five (5) year period (the “Extended Term”) following the expiration of the initial Term, by the giving of notice of the exercise of the option (the “Option Notice”) to Lessor at least nine (9) months, but not more than twelve (12) months, before the expiration of the original term. Notwithstanding the above, Lessee shall have no extension option if Lessee is in material Breach on the date of giving the Option Notice, in which event the Option Notice shall be totally ineffective, and, if Lessee is in material Breach on the date the Extended Term is to commence, at the election of Lessor, the Extended Term shall not commence and the Lease shall expire at the end of the then effective Term. In addition, the option granted hereby is personal to the original Lessee named in paragraph 1.1 of this Lease, and cannot be voluntarily or involuntarily assigned or exercised by any person or entity other than said original Lessee. The option granted to Lessee and any Permitted Transferee hereby is not assignable, either as part of an assignment of this Lease or apart therefrom, and said option may not be separated from this Lease in any manner, by reservation or otherwise.
Base Rent for the five (5)-year option period shall be at one hundred percent (100%) of the prevailing market rental rate in the area determined in the manner described below. In determining the fair market rental rate, the parties shall take into account (i) that the Premises will be leased in its “As-Is” condition and (ii)
|
| | |
_____ Lessee Initials | 11 | _____ Lessor Initials |
current free rent concessions, and tenant improvement allowances, if any, being offered by other lessors of comparable projects in the vicinity of the Project (which concessions and allowances shall not be offered by Lessor, but shall be accounted for in determining the market rent if such items are present in the comparable projects). Base Rent for each successive year shall be at prevailing market rate increases over the first year Base Rent.
The parties shall have thirty (30) days after Lessor receives the Option Notice in which to agree on monthly Base Rent for the first year of the applicable extended term and on market rate increases, if any, in one or more successive years thereafter. If the parties are unable to agree on the minimum monthly Base Rent within that period, then within ten (10) days after the expiration of that period, then either (i) Lessor and Lessee shall appoint a mutually acceptable appraiser or broker to establish the new market rental rate and terms (“MRRT”) in the area within the next thirty (30) days, including market rate increases during one or more successive years of the extended term (all costs associated with said appraisal shall be split equally between Lessor and Lessee), or (ii) each of Lessor and Lessee shall select and pay the appraiser or broker of their choosing to establish a MRRT within the next 30 days. If for any reason either one of the appraisals is not completed within the next 30 days as stipulated, then the appraisal that is completed at that time shall automatically become the new MRRT. If both appraisals are completed and the two appraisers/brokers cannot agree on a reasonable average MRRT then they shall immediately select a mutually acceptable appraiser or broker to establish which of the two appraisals is closest to the MRRT. Whichever appraisal is determined by the third
broker/appraiser to be closest to the MRRT shall be the new MRRT. The new Base Rent shall be the MRRT as determined by said broker/appraiser. In determining the MRRT, the appraisers shall take into account that Lessor is not making any tenant improvements, or giving Lessee any free rent. Lessee Initials
After the new monthly Base Rent has been set for the extended term, the appraisers shall immediately notify the parties.
61. RELATIONSHIP OF PARTIES. Neither the method of computation of rent nor any other provisions contained in this Lease nor any acts of the parties shall be deemed or construed by the parties or by any third person to create the relationship of principal and agent or of partnership or of joint venture or of any association between Lessor and Lessee, other than the relationship of Lessor and Lessee.
62. SINGULAR AND PLURAL. When required by the context of this Lease, the singular shall include the plural, the plural shall include the singular, and the masculine gender shall include the feminine and neuter gender.
63. CAPTIONS. The captions and titles of the Articles and Paragraphs, are for convenience only and do not in any way define, limit or construe the content of such Articles or Paragraphs and shall have no effect on their interpretation.
64. NO OFFER TO LEASE. The submission of this Lease to Lessee by Lessor, its agent and/or real estate broker is solely for the purpose of examination and negotiations and does not constitute an
|
| | |
_____ Lessee Initials | 12 | _____ Lessor Initials |
offer to lease, a reservation of, or option for the Premises. If this Lease is acceptable to Lessee, it should be executed and delivered to Lessor and shall thereafter be deemed an offer by Lessee to lease the Premises upon the terms and conditions in this Lease. Lessor shall not be bound by the terms and conditions of this Lease until Lessor has fully executed and delivered this Lease to Lessee.
65. NO LIEN. Lessor at no time shall have any security interest, lien or similar such right with respect to any property of Lessee, whether located at the Premises or otherwise; provided, however, that nothing herein shall preclude Lessor from obtaining any attachment, judgment, and/or execution lien against Lessee and Lessee’s property in any action against Lessee by Lessor.
66. RENT PAYMENT. If any person to whom Lessee shall not then be required to pay rent under this Lease shall demand payment or rent from Lessee alleging his or her right to receive such rent as a result of a transfer of Lessor’s interest in this Lease or otherwise, Lessee shall not be obligated to honor such demand unless Lessee shall have received written instructions to do so from the person to whom Lessee shall then be paying rent or shall otherwise receive written evidence satisfactory to Lessee of the right of such person making the demand.
67. COMMON AREA OPERATING EXPENSES.
(a) The term “Common Area Operating Expenses” shall mean and include all Project Costs, as defined immediately below, and Real Property Taxes, as defined in Paragraph 10.1 of this Lease, and are estimated to be $0.28 per square foot during calendar year 2016. Attached hereto as Exhibit “G” is the calendar year 2016 budget of Common Area Operating Expenses. The term “Project Costs” shall include all expenses of operation, repair and maintenance of the Building and the Project, including without limitation all appurtenant Common Areas, and shall include the following charges by way of illustration but not limitation: water and sewer charges; insurance premiums; license, permit, and inspection fees; heat; light; power; janitorial services to any interior Common Areas; air conditioning; supplies; materials; equipment; tools; the cost of any environmental, insurance, tax or other consultant utilized by Lessor in connection with the Building and/or Project; establishment of reasonable reserves for replacements and/or repairs, costs incurred in connection with compliance with any laws or changes in laws applicable to the Building or the Project from and after the Commencement Date; the cost of any capital investments or replacements (other than tenant improvements for specific tenants) to the extent of the amortized amount thereof over the useful life of such capital investments or replacements calculated at the greater of 7.5% and the Wall Street Journal Prime Rate plus 400 basis points, but not to exceed ten percent (10%) per annum, for each such year of useful life during the Term; costs associated with the maintenance of an air conditioning, heating and ventilation service agreement, and maintenance of an intrabuilding network cable service agreement for any intrabuilding network cable telecommunications lines within the Project, costs associated with periodic inspections of Common Area improvements to determine their good working condition, and any other installation, maintenance, repair and replacement costs associated with such lines; labor; reasonable allocated wages and salaries, fringe benefits, and payroll taxes for administrative and other personnel directly applicable to the Building and/or Project, including both Lessor’s personnel and outside personnel; any expense incurred pursuant to Paragraphs 7.2 and 68, except as specifically excluded; and a reasonable overhead/management fee for the professional operation of the Project. It is understood and agreed that Project Costs may include competitive charges for direct services provided by any subsidiary, division or affiliate of Lessor.
(b) Common Area Operating Expenses exclude the following:
|
| | |
_____ Lessee Initials | 13 | _____ Lessor Initials |
| |
(i) | costs associated with the correction or abatement of Hazardous Substances (unless Lessee is responsible for such contamination pursuant to Paragraph 56 of the Lease) |
| |
(ii) | costs incurred by Lessor in connection with the construction, expansion or renovation of the Building and/or Project or the correction of defects in such construction; |
| |
(iii) | fines or penalties assessed against Lessor or the Building and/or Project due to the Building’s and/or Project’s violation of or failure to comply with any Applicable Requirements as of the Commencement Date; |
| |
(iv) | advertising or promotional expenditures; |
| |
(v) | maintenance, repairs or replacements necessitated by the negligent act or omission of or Breach of the Lease by Lessor, its agents, servants, employees, licensees or invitees; |
| |
(vi) | amounts paid to entities related to Lessor in excess of the arm’s length cost of such services; |
| |
(vii) | interest, late charges or penalties incurred as a result of Lessor’s failure to pay bills in a timely manner; |
Lessee Initials or Initials
| |
(viii) | interest or payments on any financing for the Building and/or Project; |
| |
(ix) | cost of correcting defects or any other inadequacy in the design or construction of the Building and/or Project or repair and replacement of any of the original materials or equipment required as a result of such defects or inadequacies; |
| |
(x) | amounts for which Lessor received reimbursement or compensation from insurers, tenants (other than payments of their share of Common Area Operating expenses) or other third parties; |
| |
(xi) | the cost of legal, accounting, and other professional services incurred by Lessor for reasons not in connection with the day-to-day operation of the Building and/or Project; |
| |
(xii) | any bad debt loss, rent loss or reserves for bad debts, rent loss, or replacements; |
| |
(xiii) | the cost of providing improvements within the premises of any other tenants in the Building and/or Project at any time; |
| |
(xiv) | any and all costs associated with the operation of the business of the entity which constitutes Lessor, which costs are not directly related to the operation, management, maintenance and repair of the Building and/or Project [by way |
|
| | |
_____ Lessee Initials | 14 | _____ Lessor Initials |
of example, without limiting the foregoing, the formation of the entity, internal accounting and legal matters, including but not limited to preparation of tax returns and financial statements and gathering of data therefor, costs of defending any lawsuits (including, without limitation, expenses and legal fees incurred in enforcing leases against tenants), costs of selling, syndicating, financing, mortgaging or hypothecating any of Lessor’s interest in the Building and/or Project, and costs of any disputes between Lessor and its employee];
| |
(xv) | rent, fees or other amounts payable under any superior lease or other encumbrance; |
| |
(xvi) | leasing and brokerage expenses and commission and other costs or concessions related to leasing space in the Building and/or Project; |
| |
(xvii) | salaries of Lessor’s or its manager’s executive personnel (above the grade of building manager); |
| |
(xviii) | fees for management of the Building and/or Project in excess of (a) four percent (4%) of the annual Rent under Project leases during the initial Lease Term, and (ii) market rate for first class management companies during the Extended Term; |
| |
(xix) | utility costs and services separately metered or contracted for and paid directly by Lessee or other tenants; |
| |
(xx) | the costs of negotiating or enforcing leases of other tenants; |
| |
(xxi) | the cost of acquiring sculpture or other artwork; |
| |
(xxii) | costs of services, utilities, or other benefits which are not offered to Lessee for which Lessee is charged directly but which are provided to another tenant or occupant of the Building; |
| |
(xxiii) | Lessor’s general corporate overhead and general and administrative expenses; |
| |
(xxiv) | costs of or arising from Lessor’s charitable or political contributions; |
| |
(xxv) | costs incurred in removing and storing the property of former tenants or occupants of the Building; |
| |
(xxvi) | the cost of any work or services performed for any tenant (including Lessee) at such tenant’s cost; |
| |
(xxvii) | lease “takeover” expenses, including, but not limited to, the expenses incurred by Lessor with respect to space located in another building outside the Project of any kind or nature in connection with the leasing of space in the Project; |
| |
(xxviii) | any costs, fees, dues, contributions or similar expenses for industry associations or similar organizations; |
|
| | |
_____ Lessee Initials | 15 | _____ Lessor Initials |
| |
(xxix) | insurance deductibles in excess of $50,000 per claim; |
| |
(xxx) | any costs to operate, maintain, repair or replace any other Building in the Project if such costs are of a type that Tenant is required to pay for under this Lease (other than as part of Common Area Expenses); |
| |
(xxxi) | expense reserves (other than amortization of capital expenditures permitted hereunder); and |
| |
(xxxii) | environmental insurance. |
Notwithstanding the foregoing in this Article 67, Lessee shall not be required to pay any expenses or taxes (other than Real Property Taxes) otherwise due hereunder if Lessor first notifies Lessee of such expenses or taxes, in a statement received by Lessee more than twenty-four (24) months after such expenses or taxes are incurred.
(c) Upon the expiration of earlier termination of this Lease, even though this Lease has terminated and Lessee has vacated the Premises, when the final determination is made of Lessee’s Share of Common Area Operating Expenses for the calendar year in which this Lease terminated, Lessee shall within thirty (30) days of written notice pay the entire increase over the estimated Lessee’s Share of Common Area Operating Expenses already paid for the portion of the year Lessee occupied the Premises. Conversely, any overpayment by Lessee shall be rebated by Lessor to Lessee not later than thirty (30) days after such final determination.
68. INSURANCE.
(a) Lessor’s Insurance. At all times during the Lease Term, Lessor shall procure and keep in full force and effect the following insurance:
(i) Special Causes of Loss property insurance (including earthquake if coverage is available and commercially reasonable) insuring the replacement value of the Building and Alterations and Utility Installations owned by Landlord pursuant to Paragraph 74(a), Lessor’s equipment and Common Area furnishings, with such deductibles as Lessor reasonably considers appropriate. Lessor shall not be obligated to insure any furniture, inventory, or other personal property which Lessee may keep or maintain in the Premises, or any Alterations which Lessee may make to the Premises
(ii) Commercial General Liability insuring its interest in the Building and Improvements.
(iii) Rental Value insurance, in the name of Lessor, with loss payable to Lessor, insuring the full rental and other charges payable by Lessee to Lessor under this Lease for one (1) year (including all real estate taxes, insurance costs, and any scheduled rental increases. Said insurance shall provide that in the event the Lease is terminated by reason of an insured loss, the period of indemnity for such coverage shall be extended beyond the date of the completion of the repairs or replacement of the Premises, to provide one full year’s loss of rental revenues from the date of any such loss. Said insurance shall contain the agreed valuation provision in lieu of any coinsurance clause, and the amount of any coverage shall be adjusted annually to reflect the projected rental income, property taxes, insurance premium costs and other expenses, if any, otherwise payable by Lessee, for the next twelve (12) month period. Lessee shall be liable for any deductible amount in the event of such loss.
|
| | |
_____ Lessee Initials | 16 | _____ Lessor Initials |
(iv) Such other insurance as Lessor reasonably determines from time to time.
(b) Lessee’s Insurance. Lessee shall, at its sole cost and expense, keep in full force and effect the following insurance:
(i)
Special Causes of Loss insurance on “Lessee’s Property” for the full replacement cost thereof. Such policy shall contain an agreed amount endorsement in lieu of a coinsurance clause. “Lessee’s Property” is defined to be all Trade Fixtures, Utility Installations, improvements, betterments and personal property of Lessee located in or on the Premises, Common Area, or Building, excluding that which may be covered by Lessor’s Special Causes of Loss property insurance as set forth in Paragraph 23.01(a), above. (ii) Commercial General Liability insurance insuring Lessee against any liability arising out of its use, occupancy or maintenance of the Premises or the business operated by Lessee pursuant to this Lease. Such insurance shall be in the amount of at least $3,000,000 per occurrence which may be accomplished by a combination of primary and umbrella insurance coverages. Such policy shall name Lessor, Lessor’s wholly owned subsidiaries and agents, including without limitation Lessor’s property managers (William A. Budge, Inc. and McKennaco, Inc., dba McKenna & Company) and any mortgagees, as additional insureds on a separate endorsement form at least as broad as the Insurance Service Organization’s “Additional Insured — Managers or Lessors of Premises” Endorsement.
(iii) Business automobile liability with a combined single limit of $1,000,000.
(iv) Worker’s Compensation insurance as required by state law.
(v) Any other form or forms of insurance or increased amounts of insurance typically required by lessees of comparable projects in the same rental market area as the Premises as Lessor and any mortgagees of Lessor may reasonably require from time to time.
All such policies shall be written in a form and with an insurance company reasonably satisfactory to Lessor and any mortgagees of Lessor, and shall provide that Lessor, and any mortgagees of Lessor, shall receive not less than thirty (30) days’ prior written notice of any cancellation except for nonpayment of premium, upon which only ten (10) days’ notice shall be required. Prior to or at the time that Lessee takes possession of the Premises, Lessee shall deliver to Lessor copies or certificates evidencing the existence of the amounts and forms of coverage required under the Lease. Lessee shall deliver to Lessor copies of or actual Endorsement of additional insureds within thirty (30) days of possession of the Premises by Lessee. Lessee shall, prior to the expiration of such policies, furnish Lessor with renewals or “binders” thereof, or Lessor may order such insurance and charge the cost thereof to Lessee as additional rent.
(c) Forms of Policies. Insurance required herein shall be by companies duly licensed or admitted to transact business in the state where the Premises are located, and maintaining during the policy term a “General Policyholders Rating” of at least A-, VI, as set forth in the most current issue of “Best’s Insurance Guide”. Lessee shall not do or permit to be done anything which invalidates the required insurance policies. Lessee shall, prior to the Start Date, deliver to Lessor certificates and endorsements evidencing the existence
|
| | |
_____ Lessee Initials | 17 | _____ Lessor Initials |
and amounts of the required insurance. All policies maintained by Lessee will provide that they may not be terminated nor may coverage be reduced except after thirty (30) days’ prior written notice to Lessor. All Commercial General Liability and All-Risk property policies maintained by Lessee shall be written as primary policies, not contributing with and not supplemental to the coverage that Lessor may carry.
(d) Waiver of Subrogation. See Paragraph 8.6 of the Lease.
(e) Adequacy of Coverage. Lessor, its subsidiaries, agents and employees make no representation that the limits of liability specified to be carried by Lessee pursuant to this Lease are adequate to protect Lessee. If Lessee believes that any of such insurance coverage is inadequate, Lessee will obtain such additional insurance coverage as Lessee deems adequate, at Lessee’s sole cost and expense.
(f) Certain Insurance Risks. Lessee shall not do or permit to be done any act or thing upon the Premises or the project of which the Premises area part which would (i) jeopardize or be in conflict with fire insurance policies covering the project or fixtures and property in the project, (ii) increase the rate of fire insurance applicable to the project to an amount higher than it otherwise would be for the Permitted Use set forth at paragraph 1.8 of the Lease, or (iii) subject Lessor to any liability or responsibility for the injury to any person or persons or to property by reason of any business or operation being carried on upon the Premises.
(h) Form of Certificate of Insurance and Endorsement. Attached hereto as Exhibit “H” is the required form of Lessee’s Certificate of Insurance and Endorsement.
69. INDEMNIFICATION, WAIVER AND RELEASE. Except for any injury to persons or damage to property that is caused by or results from the negligence or willful misconduct of Lessor, its employees, or agents, and subject to the provisions of paragraph 68, above, Lessee shall indemnify and hold Lessor, Lessor’s wholly owned subsidiaries and the employees and agents of Lessor and Lessor’s wholly owned subsidiaries, including without limitation Lessor’s property managers (William A. Budge, Inc. and Maureen M. Corona Corporation, dba McKenna & Co.), Lessor’s master or ground lessor, partners, and lenders (hereinafter collectively referred to as the “Indemnified Parties” and individually as an “Indemnified Party”) harmless from and against any and all demands, claims, causes of action, fines, penalties, damages, liabilities, judgments, and expenses (including without limitation reasonable attorneys’ fees) incurred in connection with or arising from:
(a) the use or occupancy or manner of use or occupancy of the Premises by Lessee or any person claiming under Lessee.
(b) any activity, work, or thing done or permitted by Lessee in or about the Premises, the Building, or the Project.
(c) any breach by Lessee or its employees, agents, contractors, or invitees of this Lease.
(d) any injury or damage to the person, property, or business of Lessee, its employees, agents, contractors, or invitees entering upon the Premises under the express or implied invitation of Lessee.
(e) any alleged violation by Lessee of the ADA and/or any other law, rule, code or regulation.
(f) any injury or damage to the person, property, or business of Lessee, its employees, agents, contractors, or invitees entering upon the Premises, caused by the occurrence of any terrorist activity or any act of god.
|
| | |
_____ Lessee Initials | 18 | _____ Lessor Initials |
If any action or proceeding is brought against an Indemnified Party by reason of the foregoing, Lessee, upon written notice from such Indemnified Party, shall defend the same at Lessee’s expense, with legal counsel reasonably satisfactory to Lessor.70. WAIVER AND RELEASE. Lessee, as a material part of the consideration for this Lease, by this paragraph 70 waives and releases all claims against Lessor, Lessor’s wholly owned subsidiaries, and all of Lessor’s and its wholly owned subsidiaries’ employees and agents with respect to all matters for which Lessor has disclaimed liability pursuant to the provisions of this Lease.
71. LESSEE STATEMENT. Lessee shall within ten (10) business days following written request by Lessor execute and deliver to Lessor any documents, including estoppel certificates, in a mutually acceptable form prepared by Lessor which shall provide the following information:
(a) certifying that this Lease is unmodified and in full force and effect or, if modified, stating the nature of such modification and certifying that this Lease, as so modified, is in full force and effect and the date to which the Rent and other charges are paid in advance, if any;
(b) acknowledging that there are not, to Lessee’s knowledge, any uncured defaults on the part of the Lessor or stating the nature of any uncured defaults;
(c) certifying the current Rent amount and the amount and form of Security Deposit on deposit with Lessor; and
(d) certifying to such other information as Lessor, Lessor’s agents, mortgagees, prospective mortgagees and purchasers may reasonably request.
Lessee’s failure to deliver an estoppel certificate within ten (10) business days after delivery of Lessor’s written request therefor shall be conclusive upon Lessee:
(a) that this Lease is in full force and effect, without modification except as may be represented by Lessor;
(b) that there are now no uncured defaults in Lessor’s performance;
(c) that not more than one (1) month’s Rent has been paid in advance; and
(d) that the other information requested by Lessor is correct as stated in the form presented by Lessor.
72. FINANCIAL INFORMATION. Lessee shall, upon Lessor’s request, deliver to Lessor the current financial statements of Lessee, and financial statements of the two (2) years prior to the current financial statement’s year, certified to be true, accurate and completed by the chief financial officer of Lessee, including a balance sheet and profit and loss statement for the most recent prior year, which statements shall accurately and completely reflect the financial condition of Lessee. Lessor agrees that it will keep such financial
|
| | |
_____ Lessee Initials | 19 | _____ Lessor Initials |
statements confidential, except that Lessor shall have the right to deliver the same to any proposed purchaser of the Premises, or any portion thereof and to the mortgagees or beneficiaries of Lessor or
such purchaser, provided that such parties agree in writing to keep such statements confidential. Notwithstanding anything to the contrary set forth herein, as of the date hereof, Lessee is a publicly traded company and for such period as Lessee is a reporting company under Section 13(a) of the Securities Exchange Act of 1934, Lessee shall not be required to deliver financial statements to Lessor. Lessee Initials
73. IMPROVEMENTS TO THE PREMISES. Subject to the terms set forth below, Lessor shall construct certain improvements to the base Building described in clause (a) below (the “Base Building Improvements”) and certain additional improvements requested by Lessee and relating to Lessee’s use of the Premises described in clause (b) below (the “Lessee Improvements”), as follows:
(a) Base Building Improvements. Lessor shall deliver the Premises to Lessee in a clean, “shell” condition with the demolition of all existing interior improvements. Lessor shall prepare plans and specifications for the Base Building Improvements, subject to the mutual approval of Lessor and Lessee. As part of the Base Building Improvements, Lessor shall provide, at its sole cost and expense, adequate HVAC units in place on the roof with drops and/or plenums to serve Lessee’s requirements, either new or less than five (5) years old in good working condition, not to exceed a 175 ton capacity. In addition, as part of the Base Building Improvements, Lessor, at its sole cost and expense, shall deliver the Building with the exterior Building improvements mutually approved by Lessor and Lessee completed (including repainting the Building exterior), a newly designed main entryway constructed on the South end of the Building where a patio presently exists, and the area where the main entry presently exists shall be converted to a secondary exit and patio area, together with required ADA, hardscape, and landscaping. Lessor warrants that the roof, windows and seals, structural components, and all HVAC, electrical and plumbing and other Building systems and equipment serving the Building and Premises shall be in good working condition for a period of one year from Commencement Date; provided, however, that this warranty shall not apply to any damage caused or permitted by Lessee. Lessor shall also white coat the roof prior to its delivery of the Premises to Lessee on the Commencement Date, and such roof work shall carry a 10-year warranty.
(b) Lessee Improvements. Lessor shall also cause to have constructed additional general purpose and Lessee special purpose improvements to the Premises (including Lessee’s server room, as well as the electronic laboratory areas which shall be used by Lessee for the research and development/design and testing of semiconductor equipment, systems, chips and related goods) (the “Electronic Lab Areas”), but excluding Lessee’s furniture and equipment, based upon plans and specifications to be hereafter reasonably approved by Lessor and Lessee (the “Lessee Improvements”). Lessor and Lessee shall mutually agree upon the final space plan upon which construction plans and specifications shall be based. In accordance with the terms of that certain letter agreement, a copy of which is attached hereto as Exhibit “I”, Lessee authorized preparation of its preliminary space plan with Shlemmer Algaze Associates (the architect mutually selected by Lessor and Lessee as described below) prior to execution of this Lease. Attached hereto as Exhibit “J” is the current preliminary space plan for Lessee Improvements which space plan has been approved by Lessor, and, subject to revisions required by Lessee, shall be the Mutually Approved Space Plan (as said term is defined below). The
|
| | |
_____ Lessee Initials | 20 | _____ Lessor Initials |
parties intend for the final space plan to be complete by November 16, 2015, which space plan shall be consistent with the preliminary space plan attached as Exhibit “J” unless otherwise agreed to by the parties.. Not later than November 12, 2015, Lessee shall deliver to Lessor a revised draft of the space plan reflecting such changes, if any,
requested by Lessee. No later than November 13, 2015, Lessor shall deliver to Lessee a revised draft of the space plan reflecting such changes requested by Lessee that Lessor reasonably approves. This process shall continue until the space plan is approved by both parties (the “Mutually Approved Space Plan”). The parties intend the final design and development plans and specifications to be complete by November 16, 2015. No later than November 12, 2015, Lessee shall deliver to Lessor the design and development plan programming information based upon the Mutually Approved Space Plan (the “Design and Development Plans”). No later than November 13, 2015, Lessor shall deliver to Lessee a revised draft of the Design and Development Plans reflecting such changes requested by Lessor that Lessor reasonably approves. This process shall continue until the Design and Development Plans are approved by both parties (the “Mutually Approved Design and Development Plans”). If the Mutually Approved Space Plan and the Mutually Approved Design and Development plans have been finalized within the time frames set forth above, construction of Lessee Improvements is projected to be complete on May 1, 2016 (the “Projected Completion Date”), and Lessor shall cause to be prepared a construction schedule reflecting said Projected Completion Date In the event Lessor and Lessee fail to achieve a Mutually Approved Space Plan and a Mutually Approved Design and Development Plan by November 16, 2015, Lessor and Lessee agree that the Projected Completion Date may need to be updated , The Projected Completion Date must be updated to reflect delays resulting from change orders requested by Lessee, revisions to plans and specifications required by the City of Irvine in order to obtain and building permit, and any events beyond the control of either Lessor or Lessee in accordance with the provisions of Paragraph 59, above. Lessor shall assist Lessee in selecting the floor sealant that will properly seal the foundations/floors of the Building to prevent moisture intrusion and accommodate Lessee’s flooring materials; provided, however, that Lessee shall be solely responsible for the selection of such floor sealant capable of satisfying Lessee’s operational requirements, and Lessor makes no representation or warranty with regard to the suitability of the floor sealer selected by Lessee or its ability to satisfy Lessee’s operational requirements. Lessor has heretofore approved Lessee’s selection of Shlemmer Algaze Associates as the architect, and that the architect shall select and contract with all required engineers. As soon as practicable following achievement of the Mutually Approved Space Plan and the Mutually Approved Design and Development Plan, Lessor and Lessee shall mutually agree on the selection of the general contractor based upon not less than three (3) bids from contractors mutually acceptable to Lessor and Lessee. Notwithstanding, Lessee shall have the right to select two (2) general contractors who shall be included in the bid process. Lessor shall retain the best qualified engineer and contractor; Lessee shall be invited to review the contractor bids and participate in the contractor selection process. Lessor acknowledges that the contractor selection will include factors such as experience, quality of work, availability and reputation as well as cost. Lessor shall provide a $54.00 per square foot allowance (the “Allowance”) toward the cost of said Lessee Improvements excluding Lessee’s furniture and equipment; i.e., the aggregate sum of $2,712,690). In the event the approved bid for said Lessee Improvements exceeds the Allowance, Lessee shall be solely responsible for all costs in excess of the $2,712,690 Allowance, and shall pay such amount to Lessor one-third (1/3rd) at the commencement of construction, with the balance funded by Lessee in equal monthly installments beginning on the tenth (10th) day of the first calendar month following the date on which construction has commenced, and on the 10th day of each month thereafter until all construction is Substantially Complete (as said term is defined in Paragraph 1.3 of the Lease. The amount of each monthly payment shall be determined at
|
| | |
_____ Lessee Initials | 21 | _____ Lessor Initials |
such time as the final Cost Estimate (as said term is defined herein below) has been determined following approval by the City of Irvine and the issuance of a building permit, by
dividing the amount by which the final Cost Estimate exceeds $2,712,690, by the number of months set forth by the contractor in the construction schedule time-line. For example, if the final Cost Estimate is $1,000,000 greater than the Allowance, and if the construction schedule time line is six (6) months, then each monthly payment shall be $166,666.66 throughout the construction process. Said monthly payment amount shall be adjusted each time the Cost Estimate increases or decreases as a result of an approved change order based upon the formula set forth above, taking into account the number of months of time remaining in the construction schedule time line. Lessee shall have the right to provide construction supervision of said Lessee Improvements at Lessee’s sole cost and expense and not from the Allowance. Any Lessor supervision fee charged by Lessor’s construction manager shall be paid for by Lessor at its sole cost and expense and shall not be charged to Lessee or deducted/charged to the Allowance. In addition, neither the Lessee nor the contractor selected to construct the Lessee Improvements shall be charged directly or indirectly for the use of water, electricity, HVAC, security, or parking prior to the Commencement Date of the Lease. Notwithstanding Lessee’s right to approve the general contractor, the general contractor is the contractor only of Lessor and Lessee shall have no liability to the general contractor on the construction contract. At such time as Lessor and Lessee shall have the Mutually Approved Space Plan, Lessor shall cause to be prepared, as quickly as reasonably possible, final plans, specifications and working drawings of the Lessee Improvements (“Final Plans”), as well as an estimate of the total cost for the Lessee Improvements (“Cost Estimate”), all of which conform to or represent logical evolutions of or developments from the Preliminary Plans. The Final Plans and Cost Estimate shall be delivered to Lessee immediately upon completion. Within five (5) business days after receipt thereof, Lessee may deliver to Lessor the specific written changes to such plans that are necessary, in Lessee’s opinion, to conform such plans to the final approved space plan or to reduce costs. Within three (3) business days after receipt thereof, Lessor shall deliver to Lessee its response to Lessee’s requested changes. This process shall continue until the parties have reached agreement on the Final Plans. If after final approval of the Final Plans and Cost Estimate Lessee desires further changes, Lessor shall not unreasonably withhold its approval of such changes and the parties shall confer and negotiate in good faith to reach agreement on modifications to the Final Plans, and the Cost Estimate as a consequence of such change. As soon as approved by Lessor and Lessee, Lessor shall submit the Final Plans to all appropriate governmental agencies and thereafter the Lessor shall use its best efforts to obtain required governmental approvals as soon as practicable. Except as otherwise set forth herein, Lessor shall respond to any written request by Lessee for approval of changes within five (5) business days of Lessor’s receipt of Lessee’s request or such request shall be deemed approved.
After the Final Plans have been approved by Lessor and Lessee as provided above, neither party shall have the right to require extra work or change orders with respect to the construction of the Lessee Improvements without the prior written consent of the other, which consent shall not be unreasonably withheld or delayed; provided, however, that the City of Irvine may require changes and conditions to the issuance of a building Permit that may require extra work and/or extra expense. All change orders shall specify any change in the Cost Estimate and the amount of any delay in the substantial completion of the Lessee Improvements as a consequence of the change order. Lessor shall thereafter commence construction of the Lessee Improvements and shall diligently prosecute such construction to completion. The Lessee Improvements shall be constructed by Lessor in accordance with all rules, regulations, codes, ordinances, statutes, and laws of any governmental or quasi-
|
| | |
_____ Lessee Initials | 22 | _____ Lessor Initials |
governmental authority and in accordance with the
Final Plans as amended. When the Lessee Improvements are Substantially Complete, Lessor shall deliver possession of the Premises to Lessee. The cost of the Lessee Improvements to be provided at Lessor’s sole expense shall include (and Lessee shall have no responsibility for and the Allowance shall not be used for) the following: (a) costs for Lessee Improvements which are not shown on or described in the Final Plans on which the building permit was issued unless approved by Lessee; (c) costs incurred due to the presence of Hazardous Materials in the Premises or the surrounding area; (d) attorneys’ fees incurred in connection with negotiation of construction contracts, and attorneys’ fees, experts’ fees and other costs in connection with disputes with third parties; (e) interest and other costs of financing construction costs; (f) costs incurred as a consequence of delay (unless the delay is caused by Lessee), construction defects or default by a contractor; (g) costs recoverable by Lessor upon account of warranties and insurance; (h) restoration costs in excess of insurance proceeds as a consequence of casualties; (i) penalties and late charges attributable to Lessor’s failure to pay construction costs; (j) wages, labor and overhead for overtime and premium time unless approved by Lessee; (k) offsite management or other general overhead costs incurred by Lessor; (1) construction management, profit and overhead charges; and (m) construction costs in excess of the final Cost Estimate, except for increases set forth in approved change orders.
(c) Representatives.
(i) Lessor hereby designates Loren Brucker, address: P.O. Box 1743, Newport Beach, CA 92659 telephone: (949) 723-1600, e-mail: cadcolb@gmail.com, (“Lessor’s Representative”) as Lessor’s representative and agent for receiving all matters of notices from Lessee related to the Lessee Improvements, with copies of notices to also be sent to Don Morton, Landlord’s Director — Field Asset Manager, and William A. Budge, address: 19 Hammond, Suite 501, Irvine, California 92618, telephone: (949) 285-7670, e-mail: wabudge@aol.com. Lessor’s Representative shall serve as a liaison between Lessor and Lessee with respect to the Lessee Improvements. Lessor may amend the designation of the foregoing individual at any time upon delivery of written notice to Lessee.
(ii) Lessee hereby designates Todd Zanowick of MaxLinear, Inc., address: 5966 La Place Court, Suite 100, Carlsbad, California 92008, telephone: (760) 517-1294, e-mail: tzanowick@maxlinear.com (“Lessee’s Representative”), as Lessee’s primary representative and agent for receiving all matters of notices from Lessor related to the Lessee Improvements, with copies of notices to also be sent to Sameer V. Rao of MaxLinear, Inc., address: 16275 Laguna Canyon Road, Suite 120, Irvine, California 92618, telephone: (949) 333-0112, e-mail: srao@maxlinear.com, and Lessor shall deliver to such person all such notices from Lessor to be given hereunder with respect to same. Lessee’s Representative shall serve as a liaison between Lessor and Lessee with respect to the Lessee Improvements. Lessee may amend the designation of the foregoing individuals at any time upon delivery of written notice to Lessor.
74. RIGHT OF FIRST NOTICE. 60 Parker, Irvine California, is a building in the Project adjacent to the Premises and is currently vacant. Lessor is currently negotiating with a prospective lessee for the 60 Parker building. Commencing on November 4, 2016, should 60 Parker be vacant and available for Lease, Lessor shall deliver written notice to Lessee that Lessee shall have the ongoing right to lease 60 Parker for the remaining Term of this Lease (but not during any Extended Term), and on the same terms and conditions as are
|
| | |
_____ Lessee Initials | 23 | _____ Lessor Initials |
then being offered by Lessor to other prospective tenants, which terms and conditions shall be set forth in such notice, but in no event shall Lessee be required to pay Base Rent for 60 Parker in excess of the Base rent schedule then in effect under this Lease (the “60 Parker Lease Terms”). In order to exercise its right hereunder to Lease 60 Parker, Lessee must notify Lessor in writing within ten (10) calendar days from the date Lessee receives said notice from Lessor that it elects to lease 60 Parker on said terms and conditions. Notwithstanding anything to the contrary set forth herein, if the prospective tenant for 60 Parker with which Lessor is presently negotiating elects not to lease the adjacent space within the first (1st) year of the Term of this Lease, Lessor shall deliver to Lessee the same notice of right to lease 60 Parker described above, and Lessee shall have the right to lease 60 Parker on the 60 Parker Lease Terms by delivering written notice to Lessor within 10 days of Lessee’s receipt of said notice from Lessor. In the event said prospective tenant has not elected to lease 60 Parker during the first year of the Term of this Lease, and Lessor has delivered the notice to Lessee to lease 60 Parker in the manner described above, should Lessee elect not to lease 60 Parker as set forth in Lessor’s notice, then Lessor shall have the right without any notice to Lessee to lease said adjacent space during the first year of the Lease Term. The Right of First Notice shall only be applicable during the initial Lease Term.
75. ROOF EQUIPMENT. Subject to compliance with all Applicable Requirements, Lessee shall have the right to install on the Building, satellite and/or microwave antennae(s) for the reception and transmission of electromagnetic signals (the “Roof Equipment”) subject to Lessor’s receipt and approval of plans and specifications therefor, including without limitation specification sheets and weight load information. No roof equipment may be installed that does not satisfy the requirements of Lessor’s structural engineer. Lessee shall be responsible for the cost of installation, any structural upgrades required to the roof, maintenance and removal of the Roof Equipment (and the repair to the roof membrane if necessary). Lessor shall have the right to approve the location, weight load, method of installation, size and shielding requirements, which approval shall not be unreasonably withheld, delayed or conditioned (except for any weight load limitations). The route provided by Lessor to the roof from the Premises shall be the least expensive functional route available given the Building’s characteristics. Such use shall be subject to all required government approvals and shall not interfere with Building systems. All required roof penetrations must be made by Lessor’s roof contractor. Such roof space shall be made available throughout the Initial Term of the Lease and any extended term at no additional charge to Tenant. In addition, Lessee shall also have access to any standard Cable TV available within the Project.
76. INTENTIONALLY LEFT BLANK.
77. HOLDOVER. Upon prior written notice (the “Holdover Notice”) to Lessor at least ninety (90) days prior to the expiration of the Lease Term, Lessee shall be permitted to retain occupancy of its Premises at the end of its Lease Term for a period not to exceed four (4) months, the exact number of months of the holdover (which must be in monthly increments) shall be set forth in the Holdover Notice. Base Rent for a holdover up to three (3) months shall be One Hundred Twenty-Five Percent (125%) of the then current Base Rent plus Lessee’s continued payment of the then current Common Area Operating Expenses. Holdover by Lessee for a fourth (4th) month shall be at One Hundred and Fifty Percent (150%) of Lessee’s Base Rent amount on the original Lease termination date plus Lessee’s continued payment of its proportionate share of Operating Expenses. A holdover shall remain a tenancy for a fixed term for the number of months set forth in the Holdover Notice and shall not be a month-to-month tenancy.
78. RESERVED PARKING. Notwithstanding the foregoing, Landlord agrees that Landlord shall designate fifteen (15) reserved parking spaces adjacent to the Building as shown on Exhibit “B” attached hereto which Lessee may mark with the words “MaxLinear Reserved” or “MaxLinear Visitor Parking”; provided, however, that such designations and markings are being undertaken as an accommodation to Lessee only, and Lessor shall have no obligation or responsibility for (and Lessee hereby releases Lessor and Lessor’s agents
|
| | |
_____ Lessee Initials | 24 | _____ Lessor Initials |
from) enforcing the parking of vehicles within such spaces in accordance with such designations and markings. Nothing contained herein shall preclude Lessee from enforcing the parking of vehicles within such designations and markings provided that Lessee complies with all Applicable Requirements, CC&Rs, and Rules and Regulations.
____________ ____________
____________ ____________
Lessee Initials Lessor Initials
|
| | |
_____ Lessee Initials | 25 | _____ Lessor Initials |
FLOOR PLAN OF THE PREMISES
RESERVED PARKING
RULES AND REGULATIONS
PARKER IRVINE BUSINESS CENTERLessee initials
RULES & REGULATIONS
This Exhibit sets forth the Rules and Regulations governing Tenant’s use of the Common Area and the Premises leased to Tenant pursuant to the terms, covenants and conditions of the Lease to which this Exhibit is attached and therein made part thereof. Unless otherwise defined, capitalized terms used herein shall have the same meanings as set forth in the Lease. In the event of any conflict or inconsistency between this Exhibit and the Lease, the Lease shall control.
| |
1. | Tenant shall not place anything or allow anything to be placed near the glass of any window, door, partition or wall which may appear unsightly from outside the Premises. |
| |
2. | The walls, walkways, sidewalks, entrance passages, courts and vestibules shall not be obstructed or used for any purpose other than ingress and egress of pedestrian travel to and from the Premises, and shall not be used for loitering or gathering, or to display, store, or place any merchandise, equipment or devices, or for any other purpose. The walkways, entrance passageways, courts, vestibules and roofs are not for the use of the general public and Landlord shall in all cases retain the right to control and prevent access thereto by all persons whose presence in the judgment of the Landlord shall be prejudicial to the safety, character, reputation and interest of the Building and its tenants, provided that nothing herein contained shall be construed to prevent such access to persons with whom Tenant normally deals in the ordinary court of Tenant’s business unless such persons are engaged in illegal activities. No tenant or employee or invitee of any tenant shall be permitted upon the roof of the Building. |
| |
3. | No awnings or other projection shall be attached to the outside walls of the Building. No security bars or gates, curtains, blinds, shades or screens shall be attached to or hung in, or used in connection with, any window or door of the Premises without the prior written consent of Landlord. Neither the interior nor exterior of any windows shall be coated or otherwise sunscreened without the express written consent of Landlord. |
| |
4. | No sign, placard, picture, aerial display, balloons, advertisement, name or notice shall be installed or displayed on any part of the Premises or the Project (or within public rights-of-ways adjacent to the Project through the use of truck signs, sign trailers or similar items) without the prior written consent of Landlord. Landlord shall have the right to remove, at Tenant’s expense and without notice, any sign installed or displayed in violation of this rule. All approved signs or lettering on doors, walls and service areas of the Premises shall be printed, painted, affixed or inscribed at the expense of Tenant by a licensed sign contractor approved by Landlord. |
Prior to installation of any sign, Tenant must obtain Landlord’s written approval as follows: Tenant shall submit to Landlord complete working drawing showing the text, typestyle, color, construction and size of the sign as well as its placement on the Building (including the distances from any chamfer lines or edges). Landlord reserves
|
| | |
_____ Lessee Initials | | _____ Lessor Initials |
the right, in its sole discretion, to require changes or modifications to the proposed sign to ensure compliance with city requirements and any applicable CC&R’s and in its reasonable discretion as to aesthetic conformity to the rest of the Project. Once acceptable drawings have been submitted, Landlord will issue a written approval, after which Tenant’s contractor may obtain all necessary permits and commence construction. Tenant shall be solely responsible, at its sole cost, for obtaining all permits for Tenant’s signs and for ensuring that its signs comply with all applicable building codes.
Notwithstanding anything to the contrary herein, Lessee shall have the exclusive right to all available signage on the Building’s exterior, including the rooftop.
| |
5. | Tenant shall not in any way deface any part of the Premises or the Building. Tenant shall not lay linoleum, tile, carpet or other similar floor covering so that the same shall be affixed to the floor of the Premises in any manner except as approved by Landlord in writing. The expense of repairing any damage resulting from a violation of this rule or removal of any floor covering shall be borne by the Tenant. |
| |
6. | The toilet rooms, urinals, wash bowls and other plumbing apparatus shall not be used for any purpose other than that for which they were constructed and no foreign substance of any kind whatsoever shall be thrown therein. The expense of any breakage, stoppage or damage resulting from the violation of this rule shall be borne by the Tenant. |
| |
7. | Landlord shall direct electricians as to the manner and location of any future telephone wiring. No boring or cutting for wires will be allowed without the prior consent of Landlord. The locations of the telephones, call boxes and other office equipment affixed to the Premises shall be subject to the prior written approval of Landlord. |
| |
8. | No exterior storage shall be allowed at any time without the prior written approval of Landlord. The Premises shall not be used for cooking except for typical pantry / kitchen / cafeteria uses by Lessee or washing clothes without the prior written consent of Landlord, or for lodging or sleeping of for any illegal purposes. |
| |
9. | Tenant shall not make, or permit to be made, any unseemly or disturbing noises or disturb or interfere with occupants of this or neighboring buildings or premises or those having business with them, whether by the use of any musical instrument, radio, phonograph, machinery, or otherwise. Tenant shall not use, keep or permit to be used, or kept, any foul or obnoxious gas or substance in the Premises or permit or suffer the Premises to be used or occupied in any manner offensive or objectionable to Landlord or other occupants of this or neighboring buildings or premises by reason of any odors, fumes or gases. |
| |
10. | Neither Tenant nor any of Tenant’s Agents shall at any time bring or keep upon the Premises any toxic, hazardous, inflammable, combustible or explosive fluid, chemical or substance without the prior written consent of Landlord. |
| |
11. | No animals shall be permitted at any time within the Premises. |
| |
12. | Tenant shall not use the name of the Building or the Project in connection with or in promoting or advertising the business of Tenant, except as Tenant’s address, without the prior written consent of Landlord. Landlord shall have the right to prohibit any advertising by Tenant which, in Landlord’s reasonable opinion, tends to impair the reputation of the Project or its desirability of its intended uses, and upon written notice from Landlord Tenant shall refrain from or discontinue such advertising. |
|
| | |
_____ Lessee Initials | 2 | _____ Lessor Initials |
| |
13. | Canvassing, soliciting, peddling, parading, picketing, demonstrating or otherwise engaging in any conduct that unreasonably impairs the value or use of the Premises or the Project are prohibited and Tenant shall cooperate to prevent the same. |
|
| | |
_____ Lessee Initials | 3 | _____ Lessor Initials |
| |
14. | All equipment of any electrical or mechanical nature shall be placed by Tenant on the Premises, in settings approved by Landlord in writing, in such a way as to best minimize, absorb and prevent any vibration, noise or annoyance. No equipment or any type shall be placed on the Premises which in Landlord’s opinion, exceeds the load limits of the floor or otherwise threatens the soundness of the structure or improvements of the building. |
| |
15. | All furniture, equipment and freight shall be moved in and out of the building only at hours and in accordance with rules reasonably established by Landlord, and shall not impair vehicular and pedestrian circulation in the Common Area. Landlord will not be responsible for loss or damage to any furniture, equipment, or other personal property of Tenant from any cause. |
| |
16. | No air conditioning unit or other similar apparatus shall be installed or used by Tenant without the prior written consent of Landlord. |
| |
17. | No aerial antenna shall be erected on the roof or exterior walls of the Premises, or on the grounds, without in each instance the prior written consent of Landlord. Any aerial or antenna so installed by or on behalf of Tenant without such written consent shall be subject to removal by Landlord at any time without prior notice at the expense of Tenant, and Tenant shall, upon Landlord’s demand, pay a removal fee to Landlord of not less than $200.00. |
| |
18. | The entire Premises, including vestibules, entrances, doors, fixtures, windows and plate glass, shall at all times be maintained in a safe, neat and clean conditions by Tenant. All trash, refuse and waste material shall be regularly removed from the Premises by Tenant and placed in the containers at the locations designated by Landlord for refuse collection. All cardboard boxes must be “broken down” prior to being placed in the trash containers. All Styrofoam chips must be bagged or otherwise contained prior to placement in the trash containers so as not to constitute a nuisance. Pallets may not be disposed or in the trash containers or enclosures. The burning of trash, refuse or waste materials is prohibited. |
| |
19. | Tenant shall use, at Tenant’s cost, such pest extermination contractor as Landlord may direct and at such intervals as Landlord may require. |
| |
20. | All keys for the Premises shall be provided to Tenant by Landlord and Tenant shall return to Landlord any of such keys so provided upon the terminations of the Lease. Tenant shall not change locks or install other locks on doors of the Premises without the prior written consent of Landlord. In the event of loss of any key furnished by Landlord for Tenant, Tenant shall pay to Landlord the costs thereof. |
| |
21. | No person shall enter or remain within the Project while intoxicated or under the influence of liquor or drugs. Landlord shall have the right to exclude or expel from the Project any person who, in the absolute discretion of Landlord, is under the influence of liquor or drugs. |
Tenant agrees to comply with all such Rules and Regulations. Should Tenant not abide by these Rules and Regulations, Landlord or an “Operator”, “Association”, or “Declarant” under any Restrictions may serve a Three (3) Day Notice to correct the deficiencies. If Tenant has not corrected the deficiencies by the end of the notice period, Tenant will be in default of the Lease, and Landlord and/or its designee shall have the right, without further notice, to cure the violation at Tenant’s expense.
|
| | |
_____ Lessee Initials | 4 | _____ Lessor Initials |
Landlord reserves the right to amend or supplement the foregoing Rules and Regulations and to adopt and reasonably promulgate additional rules and regulations applicable to the Premises so long as such rules do not unreasonably interfere with Lessee’s use of the Premises or its parking rights. Notice of such rules and regulations and amendments and supplements thereto, if any, shall be given to the Tenant.
Lessee Initials Lessor
Neither Landlord nor Landlord’s Agents or any other person or entity shall be responsible to Tenant or to any other person for the ignorance or violation of these Rules and Regulations by any other tenant or other person. Tenant shall be deemed to have read these Rules and Regulations and to have agreed to abide by them as a condition precedent, waivable only by Landlord, to Tenant’s occupancy of the Premises.
|
| | |
_____ Lessee Initials | 5 | _____ Lessor Initials |
SIGN CRITERIA
Parker Irvine Business Center
Sign Criteria
No sign, placard, picture, aerial display, balloons, advertisement, name or notice shall be installed or displayed on any part of the Premises or the Project (or within public rights-of-ways adjacent to the Project through the use of truck signs, sign trailers or similar items) without the prior written consent of Lessor, not to be unreasonably withheld, conditioned or delayed. Lessor shall have the right to remove, at Lessee’s expense and without notice, any sign installed or displayed in violation of this rule. All approved signs or lettering on doors, walls and service areas of the Premises shall be printed, painted, affixed or inscribed at the expense of Lessee by a licensed sign contractor approved by Lessor.
Prior to installation of any sign, Lessee must obtain Lessor’s written approval as follows: Lessee shall submit to Lessor complete working drawing showing the text, typestyle, color, construction and size of the sign as well as its placement on the Building (including the distances from any chamfer lines or edges). Lessor reserves the right, in its sole reasonable discretion, to require changes or modifications to the proposed sign to ensure compliance with the Applicable Requirements as well as aesthetic conformity to the rest of the Project. Once acceptable drawings have been submitted, Lessor will issue a written approval, after which Lessee’s contractor may obtain all necessary permits and commence construction. Lessee shall be solely responsible, at its sole cost, for obtaining all permits for Lessee’s signs and for ensuring that its signs comply with all applicable building codes.
|
| | |
_____ Lessee Initials | | _____ Lessor Initials |
LANDLORD’S WAIVER AND CONSENT
|
| | |
_____ Lessee Initials | EXHIBIT “E” | _____ Lessor Initials |
IRE ___________
Investment Name
LANDLORD’S LIEN SUBORDINATION AGREEMENT
THIS LANDLORD’S LIEN SUBORDINATION AGREEMENT (“Agreement”) is entered into as of the __ day of ________ 201_ between The Northwestern Mutual Life Insurance Company (“Northwestern”), ______________________________ (“Tenant”) and ______________________________ (“Lender”).
WITNESSETH:
WHEREAS, Northwestern is the owner of an interest in certain industrial real property commonly known as ____________________________ and located at ______________________________ (“Property”);
WHEREAS, Northwestern and Tenant have entered into that certain lease dated as of ______________________________ (“Lease”), pursuant to which Northwestern has leased to Tenant certain space in a building at the Property, all as more particularly described in the Lease (“Premises”);
WHEREAS, Lender has or is about to enter into a financing transaction with Tenant, as borrower, to secure financing. In connection therewith, Tenant has granted or is about to grant to Lender a security interest in equipment, trade fixtures, furnishings, machinery, inventory or other personal property of the Tenant which is stored or otherwise located at the Premises as specifically described on Exhibit A attached hereto (the “Collateral”) which Collateral shall not include any property which is permanently affixed to the Premises or is otherwise considered real property under applicable law;
WHEREAS, Lender hereby requests that Northwestern (i) subordinate any liens, claims, demands or rights Northwestern may have or hereafter acquire with respect to the Collateral, and (ii) consent to Lender’s right to enter upon the Premises to exercise its rights and remedies with respect to the Collateral, subject to the terms of this Agreement; and
WHEREAS, Northwestern is willing to so consent and subordinate its interest subject to the terms of this Agreement.
NOW THEREFORE, in consideration of the mutual promises and agreements contained herein, and other good and valuable consideration, the receipt and sufficiency of which each party hereto acknowledges, Lender, Tenant and Northwestern hereby agree as follows:
1. Subject to the terms and conditions of this Agreement, Northwestern hereby subordinates any and all liens, claims, demands or rights which Northwestern may now have or hereafter acquire, by statute, contract, operation of law or otherwise, on or in any of the Collateral to the lien or security interest of Lender therein.
2. At any time prior to the termination of the Lease, and subject to its terms and provisions, Lender or its representatives may, upon prior written notice to Northwestern’s Property Manager (pursuant to paragraph 8 of this Agreement), enter upon the Premises during normal business hours to inspect, remove, transfer, take control of or make any other disposition of the Collateral; provided, however that if Lender shall take any action with respect to the Collateral other than inspecting the same, then Lender shall first furnish Northwestern with reasonable evidence of its right to do the same, it being understood that a certified copy of an in-force UCC-1
security filing shall be deemed sufficient evidence. Upon prior written notice to Northwestern, Lender may advertise for sale and/or conduct public auctions or private sales of the Collateral within the Premises (but not in any common areas of the Property including, without limitation, any parking areas located thereon) subject to the rights of other tenants at the Property.
3. Northwestern shall have no obligation whatsoever to provide Lender with any notice of Tenant’s default under the Lease. However, upon termination of Tenant’s right to occupy the Premises, Northwestern shall deliver to Lender a copy of any notice of termination which Northwestern has delivered to Tenant provided, however, that Northwestern shall have no liability for failure to deliver such notice.
4. In the event that Northwestern takes possession of the Premises upon termination of the Lease, then Northwestern shall allow the Collateral to remain on the Premises for a period of sixty (60) days following such termination of the Lease (“Disposition Period”) for purposes of Lender’s inspection, removal, transferring or otherwise disposing of the same provided that, and as conditions precedent thereto:
(i) Lender shall deliver written notice to Northwestern within five (5) business days of Lender’s receipt of notice of termination of the Lease requesting that Northwestern allow the Collateral to so remain on the Property during the Disposition Period. Failure of Lender to deliver such notice to Northwestern shall be deemed to be Lender’s election to waive its rights with respect to the Collateral as set forth in this Agreement;
(ii) Lender shall deliver to Northwestern, at the time of delivery of the notice referred to in Section (i) of this paragraph 4., above, all sums due under the Lease relating to the Disposition Period, including, without limitation, monthly base rent and additional rent (regardless of the defined terms used to describe such payments in the Lease). Lender shall not be liable for any past due rent accrued prior to the commencement of the Disposition Period;
(iii) At any time prior to Lender’s entry onto the Property, Lender (or its contractor, vendor or other third party claiming under Lender, as applicable) shall (a) obtain and keep in full force and effect, insurance as set forth below, naming Northwestern, its agents, representatives and wholly owned subsidiaries, as additional insureds on the Commercial General Liability and Business Automobile insurance policies, and (b) deliver to Northwestern, and obtain the approval of Northwestern to, certificates of insurance evidencing such insurance.
|
| |
Type | Limits |
Worker’s Compensation Employer’s Liability | Statutory/$500,000 |
Commercial Liability | $1,000,000/occurrence $2,000,000/aggregate |
Business Automobile Liability | $1,000,000 Combined Single Limit |
|
| | |
_____ Lessee Initials | 2 | _____ Lessor Initials |
The aforesaid coverages shall be maintained throughout the Disposition Period. In the event that any such coverages are written on a “claims-made” basis, such coverages shall be kept in force either by renewal thereof or the purchase of an extended reporting period for a minimum of one (1) year following the expiration or earlier termination of this Agreement. Nothing herein contained, including but not limited to insurance carried by
Lender, shall in any way be deemed to limit Lender’s liability under applicable law; and
|
| | |
_____ Lessee Initials | 3 | _____ Lessor Initials |
(iv) Lender shall deliver to Northwestern, at the time of delivery of the notice referred to in Section (i) of this paragraph 4., above, reasonable evidence of its right to remove the Collateral or any portion thereof, it being understood that a certified copy of an in-force UCC-1 security filing shall be deemed sufficient evidence.
Upon failure of Lender to deliver the notice referred to in paragraph 4.(i), above or the later expiration of the Disposition Period by lapse of time, this Agreement shall be deemed terminated and of no further force or effect whether or not Lender has removed, transferred, taken control of or otherwise disposed of the Collateral. Northwestern shall thereafter be deemed to have any and all rights with respect to the Collateral that it would have had absent this Agreement and may dispose of the Collateral or any portion thereof and/or apply any and all proceeds therefrom in accordance with the Lease. Lender shall promptly execute any and all documents furnished to it by Northwestern or Tenant necessary in the discretion of Northwestern or Tenant, as the case may be, to evidence the termination of this Agreement.
5. Lender shall observe all appropriate safety precautions while on the Property. Further, at Northwestern’s option, Lender shall either (i) promptly repair, at Lender’s sole expense, any physical damage to the Property caused by Lender’s entry onto the Property and/or removal of the Collateral by Lender or its agents or representatives or (ii) promptly reimburse Northwestern for the reasonable costs of repair of any damage done to the Property by Lender, its agents or representatives as a result of entry onto the Property pursuant to this Agreement. Lender’s obligation to so repair or reimburse Northwestern shall survive the expiration or termination of this Agreement.
6. Lender acknowledges that Northwestern has entered into this agreement solely as an accommodation to Tenant and Lender shall indemnify and shall hold Northwestern harmless from and against any losses, damages, expenses, liabilities, demands and causes of action, and any expenses incidental to the defense thereof by Northwestern, resulting from injury to or death of persons, or damage to Property directly or indirectly growing out of or in connection with any acts of Lender or Lender’s agents or representatives in connection with entry upon the Property pursuant to this Agreement. Lender’s sole and exclusive remedies against Northwestern in connection with this Agreement shall be to exercise its rights with respect to the Collateral. Lender’s obligation to so indemnify Northwestern shall survive the expiration or earlier termination of this Agreement.
7. This Agreement shall be binding upon the successors, transferees or assignees of Northwestern, Lender and Tenant. This Agreement may be modified only by an agreement in writing executed by the parties hereto or their successors or assigns.
8. All notices, demands, requests and other instruments required or which may be given under this Agreement or the law shall be given in writing and shall be deemed received upon the occurrence of any of the following: (i) when refused or noted unable to deliver, if addressed pursuant to this section, (ii) when received via nationally recognized overnight courier/delivery service, or (iii) when received via facsimile, provided that a copy is also delivered within one business day pursuant to the method set forth in section (ii) immediately above. In each case the notice shall be addressed to Northwestern and to Lender at the addresses set forth below, or to such other addresses as may be requested by Northwestern and Lender by giving notice to the other interested parties in accordance with this paragraph.
|
| | |
_____ Lessee Initials | 4 | _____ Lessor Initials |
To Northwestern: The Northwestern Mutual Life
Insurance Company
c/o Northwestern Mutual Investment
Management Company
Attn:
Phone:
Fax:
Email:
With a copy to Northwestern’s
Property Manager:
Attn:
Phone:
Fax:
Email:
To Lender:
Attn:
Phone:
Fax:
Email:
To Tenant:
Attn:
Phone:
Fax:
Email:
9.
For purposes of executing this Agreement, a document signed and transmitted by facsimile machine or email (in the form of a PDF) shall be treated as an original document. The signature of any party thereon shall be considered as an original signature, and the document transmitted shall be considered to have the same binding legal effect as an original signature on an original document. Any facsimile or emailed document shall be re-executed by both parties in original form. No party hereto may raise the use of a facsimile machine or email or the fact that any signature was transmitted through the use of a facsimile machine or email as a defense to the validity or enforcement of this Agreement or any amendment executed in compliance with this Paragraph 9. This paragraph does not supersede the requirements of paragraph 8 of this Agreement.
|
| | |
_____ Lessee Initials | 5 | _____ Lessor Initials |
10. As a condition precedent to Northwestern’s execution of this Agreement, payment to Northwestern in the sum of Five Hundred Dollars ($500) to compensate Northwestern for the cost of preparing, negotiating and delivering this Agreement shall be made to Northwestern by either Lender or Tenant, in good and negotiable funds, the parties hereto agreeing that such sum is a reasonable approximation of the cost of Northwestern’s expenses relating thereto, the exact cost thereof being impractical to determine.
11. This Agreement, and the terms thereof, shall be governed and controlled by the laws of the state in which the Property is located. This Agreement will not be recorded in the land or real estate records.
12. This Agreement may be executed in any number of counterparts each of which, when so executed and delivered, shall be deemed to be an original and all of which taken together shall constitute one and the same document.
IN WITNESS WHEREOF, this Agreement has been executed as of the date first set forth above.
LENDER:
By:
Name:
Title:
TENANT:
By:
Name:
Title:
NORTHWESTERN: THE NORTHWESTERN MUTUAL
LIFE INSURANCE COMPANY,
a Wisconsin corporation
| |
By: | Northwestern Mutual Investment |
Management, LLC a Delaware limited
liability company, its wholly-owned
affiliate
By
Name:
Its: Managing Director
|
| | |
_____ Lessee Initials | 6 | _____ Lessor Initials |
ENVIRONMENTAL QUESTIONNAIRE
EXHIBIT “F”
ENVIRONMENTAL QUESTIONNAIRE AND DISCLOSURE STATEMENT
The purpose of this form is to obtain information regarding the use of hazardous substances on the premises. Prospective tenants should answer the questions in light of their proposed operations on the premises. Existing tenants should answer the questions as they relate to on-going operations on the premises and should update any information previously submitted. If additional space is needed to answer the questions, you may attach separate sheets of paper to this form.
Your cooperation in this matter is appreciated. Any questions should be directed to, and when completed, the form should be mailed to:
1. GENERAL INFORMATION
Company Name: MaxLinear
Check Applicable Status: Prospective Tenant: ü Current Tenant: ____
Mailing Address: 16275 Laguna Canyon Road, Suite 120, Irvine, CA 92618
Contact Person & Title: Sameer Roo, Director of Finance
Phone #: (949) 333-0112
Address Leased Premises: 50 Parker, Irvine, CA
Describe the proposed operations to take place on the property, including principal products manufactured or services to be conducted. Existing tenants should describe any proposed changes to on-going operations.
Engineering Research & Development and product testing.
2. STORAGE OF HAZARDOUS MATERIALS
Will any hazardous materials be used or stored on site?
Wastes Yes _____ No : ü
Chemical Products Yes _____ No : ü
Attach the list of any hazardous materials to be used or stored, the quantities that will be on site at any given time, and the location and method of storage.
3. STORAGE TANKS & SUMPS
3.1 Is any above or below ground storage of gasoline, diesel, or other hazardous substances in tanks or sumps proposed or currently conducted on the premises?
Yes _____ No : ü
If yes, describe the materials to be stored, and the type, size and construction of the sump or tank. Attach copies of any permits obtained for the storage of such substances.
3.2 Have any of the tanks or sumps been inspected or tested for leakage?
Yes _____ No _____
If so, attach results.
3.3 Have any spills or leaks occurred from such tanks or sumps?
Yes _____ No _____
If so, describe.
3.4 Were any regulatory agencies notified of the spill or leak?
Yes _____ No _____
If so, attach copies of any spill reports filed, any clearance letters or other correspondence from regulatory agencies relating to the spill or leak.
3.5 Have any underground storage tanks or sumps been taken out of service or removed?
Yes _____ No _____
If yes, attach copies of any closure permits and clearance obtained from regulatory agencies relating to closure and removal of such tanks.
4. SPILLS
4.1 During the past year, have any spills occurred on the premises?
Yes _____ No : ü
If so, please describe the spill and attach the results of any testing conducted to determine the extent of such spills.
4.2 Were any agencies notified in connection with such spills?
Yes _____ No _____
If so, attach copies of any spill reports or other correspondence with regulatory agencies.
4.3 Were any clean up actions undertaken in connection with the spill?
Yes _____ No _____
If so, briefly describe the actions taken. Attach copies of any clearance letters obtained from any regulatory agencies involved and the results of any final soil or ground water sampling done upon completion of the clean up work.
5. WASTE MANAGEMENT
5.1 Has your company been issued an EPA Hazardous Waste Generator I.D. number?
Yes _____ No : ü
5.2 Has your company filed a biennial report as a hazardous waste generator?
Yes _____ No : ü
If so, attach a copy of the most recent report files.
| |
5.3 | Attach a list of the hazardous waste, if any, generated or to be generated at the premises, its hazard class and the quantity generated on a monthly basis. |
| |
5.4 | Describe the method(s) of disposal for each waste. Indicate where and how often disposal will take place. |
| |
5.5 | Indicate the name of the person(s) responsible for maintaining copies of hazardous manifests completed for off-site shipments of hazardous waste. |
| |
5.6 | Is any treatment or processing of hazardous wastes currently conducted or proposed to be conducted at the premises: |
Yes _____ No : ü
If yes, please describe any existing or proposed treatment methods.
| |
5.7 | Attach copies of any hazardous waste permits or licenses issued to your company with respect to its operations on the premises. |
| |
6. | WASTE WATER TREATMENT/DISCHARGE |
| |
6.1 | Do you discharge waste water to: |
____ storm drain? ____ sewer?
____ surface water? ü no industrial discharge
| |
6.2 | Is your waste water treated before discharge? |
Yes _____ No _____
If yes, describe the type of treatment conducted.
| |
6.3 | Attach copies of any waste water discharge permits issued to your company with respect to its operations on the premises. |
| |
7.1 | Do you have any air filtration systems or stacks that discharge into the air? |
Yes _____ No : ü
| |
7.2 | Do you operate any of the following types of equipment, or any other equipment requiring an air emissions permit? |
____ Spray booth
____ Dip tank
____ Drying oven
____ Incinerator
____ Other ____________________
ü No Equipment Requiring Air Permits
| |
7.3 | Are air emissions from your operation monitored? |
Yes _____ No _____
If so, indicate the frequency of monitoring and a description of the monitoring results.
| |
7.4 | Attach copies of any air emissions permits pertaining to your operations on the premises. |
8. 8. HAZARDOUS MATERIALS DISCLOSURES
| |
8.1 | Does your company handle hazardous materials in a quantity equal to or exceeding an aggregate of 500 pound, 5 gallons, or 200 cubic feet? No |
| |
8.2 | Has your company prepared a hazardous materials management plan (“business plan”) pursuant to Orange County Fire Department requirements? |
Yes _____ No : ü
| |
8.3 | Are any of the chemicals used in your operation regulated under Proposition 65? |
Yes _____ No : ü
If so, describe the actions taken, or proposed actions to be taken, to comply with the proposition.
| |
8.4 | Describe the procedure followed to comply with OSHA Hazard Communication Standard requirements. N/A |
| |
9. | ENFORCEMENT ACTIONS, COMPLAINTS |
| |
9.1 | Has your company ever been subject to any agency enforcement actions, administrative orders, or consent decrees? |
Yes _____ No : ü
If so describe the actions and any continuing compliance obligations imposed as a result of these actions.
| |
9.2 | Has your company ever received requests for information, notice or demand letters, or any other inquiries regarding its operation? |
Yes _____ No : ü
| |
9.3 | Have there ever been, or are there now pending, any lawsuits against the company regarding any environmental or health and safety concerns? |
Yes _____ No : ü
| |
9.4 | Has an environmental audit ever been conducted at your company’s current facility? |
Yes _____ No : ü
| |
9.5 | Have there been any problems or complaints from neighbors at the company’s current facility? No |
Lessee shall describe on the attached summary page all Hazardous Substances to be located at the Premises by Lessee or its agents. Lessee certifies that the information set forth on the summary following on the next page is true and correct.
MaxLinear, Inc.
Company
By: /s/
Title: Director, Finance
Date: 07/07/2015
Property Name: Parker Irvine Business Center
Property Address: 50 Parker, Irvine, CA 92618
Northwestern Investment Number: IRE-334040
Tenant Name: MaxLinear
Tenant’s primary business activities as this tenant space: Engineering Research & Development and product testing
|
| | | | | | |
Chemical Name (Manufacturer’s Name) | Primary and/or Hazardous Constituents | Material Safety Data Sheet Name (attach. copies of MSDS’s) | Size/Quantity of Container | Max Number of Onsite Containers per month | Max Quantity of Material on- site per Month | Describe storage method for this product |
NOT APPLICABLE | | | | | | |
| | | | | | |
| | | | | | |
| | | | | | |
| | | | | | |
2016 BUDGET OF
COMMON AREA OPERATING EXPENSES
EXHIBIT “G”
EXHIBIT “G”
2016 COMMON AREA EXPENSE ESTIMATE
|
| |
Maintenance and Repairs/Association Fees/Landscape: | $346,567.00 |
Trash, smoke alarms and Misc. service: $43,500.00 | $43,500.00 |
Utilities — Electric and Water — Common Area: | $24,000.00 |
Misc. Expenses — Administration and Management: | $217,000.00 |
Insurance — Liability and Property: | $179,920.00 |
Property Taxes — Common area and buildings: | $546,900.00 ($67,362.00 for 50 Parker) |
TOTAL ANNUAL EXPENSES: | $1,357,887.00 |
Apx. $0.28 per square foot per month
For 408,502 square foot Project
EXHIBIT “G”
FORM OF CERTIFICATE OF INSURANCE
EXHIBIT “H”
MCKENNA & COMPANY
PO Box 578, Apple Valley, CA 92307
949 768 5840 Voice Mail 949 266 5897 Fax
jcirillo@mckennaco.com
Re: Distribution Tenant Insurance Requirements - Certificate of Insurance & Endorsements for Parker Irvine Business Center, Irvine, CA 92618
Please forward Accord Certificates of Insurance and actual Endorsements which includes the requirements below and send to one of the following as soon as possible: McKenna & Company, PO Box 578, Apple Valley, CA 92307 or Fax to 949 266-5897 or email to jcirillo@mckennaco.com
1. The Certificate Holder should read: “The Northwestern Mutual Life Insurance Co, and it’s wholly owned subsidiaries and agents, William A. Budge Inc., Maureen M. Corona Corp. dba McKenna & Co., PO Box 578, Apple Valley, CA 92307”
2. Actual Endorsement of “Form CG 20 11, Additional Insured—Managers or Lessors of Premises” or at least as broad as the ISO’s equivalent Endorsement.
If you submit a Blanket Endorsement, the additional insured names must be listed on the Certificate with reference of Endorsement Form number. Additional Insured Endorsement names to read as: “The Northwestern Mutual Life Insurance Co, and it’s wholly owned subsidiaries and agents, William A. Budge Inc„ Maureen M. Corona Corp. dba McKenna & Co. and their respective Members, Managers, Officers, Affiliates, and Employees”. Please include the Policy number on Endorsements.
3. Please make reference of the entity name on our Lease Agreement as well as any dba.
4. The certificate should reference the address & Suite(s) # of the premises you occupy.
5. General Liability insurance must be for a minimum of $2,000,000.00 per occurrence.
6. All-Risk property insurance on “Lessee’s Property” for the full replacement value. Such policy shall contain an agreed amount endorsement in lieu of a coinsurance clause. “Lessee’s Property” is defined to be all improvements, betterments and personal property of Lessee located in or on the Premises, Common Areas or Building.
7. Worker’s Compensation insurance as required by state law.
Your assistance in this matter is greatly appreciated. Should you have any questions, please feel free to email as email is the most reliable source in reaching me.
Regards,
Judi Cirillo
Insurance Administrator
McKenna & Co.
Parker Irvine Business Center
Rev. 01.26.11
MCKENNA & COMPANY
PO Box 578, Apple Valley, CA 92307
949 768 5840 Voice Mail 949 266-5897 Fax
jcirillo@mckennaco.com
Example of Proper Endorsement
POLICY # XXXXXXXX
THIS ENDORSEMENT CHANGES THE POLICY. PLEASE READ IT CAREFULLY.
ADDITIONAL INSURED -- MANAGERS OR LESSORS OF PREMISES
This endorsement modifies insurance provided under the following:
COMMERCIAL GENERAL LIABILITY COVERAGE PART
SCHEDULE
Designation of Premises (Part Leased To You)
Parker Irvine Business Center
XX Hammond, Suite XXX
Irvine, CA 92618
Name Of Additional Insured Person(s) Or Organization(s):
The Northwestern Mutual Life Insurance Co. and it’s wholly owned subsidiaries and agents, William A. Budge Inc., Maureen M. Corona Corp. dba McKenna & Co. and their respective Members, Managers, Officers, Affiliates, and Employees.
Etc. etc
Form CG 20 11 XX XX
Rev. 01.26.11
LETTER AGREEMENT REGARDING DESIGN WORK
EXHIBIT “I”
Northwestern Mutual*
October 20, 2015
Northwestern Mutual Real Estate
610 Newport Center Drive. Suite 850
Newport Beach. CA 92660
949 759 5555 office
949 640 5721 fax
Via E-mail & US Mail
Mr. Adam Spice
MaxLinear, Inc.
5966 La Place Court
Suite 100
Carlsbad, California 92008
RE: 50 Parker, Irvine, CA
Dear Adam,
With reference to the proposed lease transaction between The Northwestern Mutual Life Insurance Company, a Wisconsin corporation, as Landlord, and MaxLinear, Inc., a Delaware corporation, as Tenant, pertaining to approximately 50,236 square feet of that certain building addressed at 50 Parker, Irvine, Ca. (the “Premises”) it is anticipated that a lease will be negotiated and executed based substantially upon the terms (the “Agreed Terms”) set forth in that contain Letter of Intent, dated September 18, 2015. Although it is anticipated that the lease will be executed and delivered sometime in the near future, the parties wish to proceed with the preparation of preliminary design drawings, and certain other pre-construction work (collectively, “Design Work”) for the leasehold improvements contemplated for such space as soon as possible.
Landlord is prepared to authorize its space planners, architects, engineers and other suppliers and contractors (collectively, “Vendors”) to begin to undertake such Design Work prior to execution of the lease at a cost not to exceed $26,500.00 as itemized in Exhibit “A” attached hereto. However, this authorization shall be in consideration of the countersignature of this letter by Tenant, by which countersignature Tenant agrees to reimburse Landlord for any of such sums paid by Landlord to the Vendors retained for the Design Work. Tenant’s reimbursement obligation hereunder shall be subject to a limitation of $26,500.00, and a condition precedent to the effectiveness of such reimbursement obligation shall be that a lease agreement is not entered into between the parties for such space. If the parties enter into a lease for the Premises, the lease shall control and Landlord and Tenant shall be subject to their respective obligations under the lease and this letter shall be null and void. Such Design Work shall cease immediately upon receipt by the Vendors of a written request to stop such work, delivered by Tenant or by Landlord. Invoices for costs incurred to the date such work is stopped shall be delivered to Tenant, together with a reasonably particular breakdown of such invoices, and Tenant agrees to promptly pay to Landlord the amounts owed, if any, pursuant to this letter.
If the foregoing meets with your approval, please countersign this letter and the additional enclosed copy of this letter, retain this letter for your files, and return the countersigned copy to me, as soon as possible.
Very truly yours,
Don Morton,
Director — Asset Management
The foregoing is agreed to and accepted this 21 day of Oct 2015:
“Tenant”
MaxLinear, Inc„ a Delaware Corporation
By: Adam C. Spice
Its: CFO
cc: William A. Budge
Loren Budge
Exhibit “A”
Design Work Costs
Programming - $4,000.00
Test Fit plans - $5,500.00
As-build - $4,500.00
Office planning - $5,500.00
Collaborative Workshop lab - $7,000.00
Total: $26,500.00
PRELIMINARY SPACE PLAN
EXHIBIT “J”